Ancocoelus meles lack the spiralled embolus of most Steatoda and females lack the wrinkled epigyne. The male cymbium has an internal apico-retrolateral process.
Comb-footed Spiders
Theridiidae
The Theridiidae, the Comb-footed Spiders, are a common and morphologically diverse family of spiders. The feature that gave the family its common name, a comb of serrated setae on the fourth tarsi of the legs is often absent, particularly in males, which makes identification difficult.
Some features help to distinguish these spiders from other families with similar morphology. For example, theridiid males lack the U-shaped paracymbium of the pedipalp present in the similar linyphiid males; or, the posterior median eyes of many species in the subfamily Hardrotarsinae are typically kidney-shaped.
A recent key allows an identification of theridiid general of the world (Vanuytven 2021).
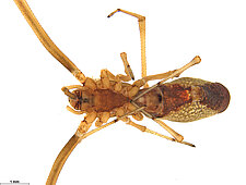
Ancocoelus
3 species
Male cephalothorax with 1 or 2 anterior projections; anterior median eyes on anterior side of ocular tubercle; abdomen with silvery spots.
Argyrodes
3 species
Colulus in some specimens replaced by two setae; clypeus very high; cephalothorax rugose with numerous distinct denticles. Single Australian species that does not seem to be a true Crustulina.
Crustulina
1 species
Abdomen nearly spherical usually with small posterior projection, longer than high, sometimes higher than long. Cymbium sometimes strongly modified, extending beyond alveolus.
Cryptachaea
26 species
Dipoena
2 species
Carapace with high head region, thorax lower. Abdomen somewhat elongate triangular, overhanging carapace, colouration variable, usually blackish brown with large silvery spots.
Emertonella
17 species
Male chelicerae strongly enlarged, diverging and bearing at least one large tooth.
Enoplognatha
3 species
Euryopis
5 species
Genus 3492 (near Dipoena)
3 species
These are very small, non-descript grey spiders similars.
Genus 498 (BWI genus 3)
1 species
Hadrotarsus
2 species
Easily be distinguished by the red hourglass marking on the venter of the abdomen, which is present in both females and the much smaller and more colourful males.
Latrodectus
2 species
Resembles Parasteatoda, but is distinguishable by the orange to light brown basal color, female internal genitalia with thick, short and not twisted duct, embolus of male pedipalp thick and slightly curved without large base, median apophysis concave.
Nihonhimea
2 species
Phoroncidia
2 species
Differs from Ariamnes from the shorter abdomen, male carapace usually with single anterior projection and slanting; general colouration mostly light brown, with many lighter spots. Legs thin and long; first patella and tibia, 3 to 4 times carapace length.
Rhomphaea
1 species
Steatoda
13 species
This group includes all theridiid spiders that can currently not be referred to a genus on the Fauna Portal.
Theridiidae gen. indet.
8 species
Theridion
10 species
Abdomen usually higher than wide with silvery spots. Male pedipalp with large conductor. Colulus replaced by two setae.
Thwaitesia
1 species
Yaginumena
2 species
Publications
Vanuytven, H. (2021): The Theridiidae of the World. A key to the genera with their diagnosis and a study of the body length of all known species. Newsletter of the Belgian arachnological Society. 35 (Supplement): 1 - 363
TTTCCTCGAATGAATAATTTAAGTTTTTGATTATTGCCTCCTTCTTTATTATTATTATTTATTTCTTCAATAGTGGAAATGGGAGTTGGAGCTGGATGAACTGTATATCCACCTTTATCTTCTTTGGATGGTCATGGAGGTAGATCTGTGGATTTTGCTATTTTTTCTTTACATTTAGCTGGAGCTTCTTCTATTATAGGAGCTGTGAATTTTATTTCTACTGTATTAAATATACGATCATATGGAATAACAATAGAAAAGGTACCTTTATTTGTATGATCAGTATTAATTACTGCTATTTTATTATTATTATCTTTACCTGTATTAGCAGGTGCTATTACTATATTATTAACTGATCGAAATTTTAATACTTCATTTTTTGATCCAGCTGGAGGAGGTGATCCAATTTTATTTCAACATTTATTTTGATTTTTTGGTCAC
CATAAAGATATTGGTACTTTATATTTAATTTTTGGAGCTTGGGCTGCTATAGTAGGAACAGCTATAAGAGTATTAATTCGAATTGAATTAGGTCAAACTGGAAGATTTATGGGTGATGATCAATTATATAATGTAATTGTTACAGCTCATGCTTTTGTAATAATCTTTTTTATAGTAATACCAATTTTAATTGGTGGTTTTGGAAATTGATTAGTACCTTTAATATTAGGAGCTCCTGATATAGCTTTTCCTCGAATGAATAATTTAAGTTTTTGATTATTGCCTCCTTCTTTATTATTATTATTTATTTCTTCAATAGTGGAAATGGGAGTTGGAGCTGGATGAACTGTATATCCACCTTTATCTTCTTTGGATGGTCATGGAGGTAGATCTGTGGATTTTGCTATTTTTTCTTTACATTTAGCTGGAGCTTCTTCTATTATAGGAGCTGTGAATTTTATTTCTACTGTATTAAATATACGATCATATGGAATAACAATAGAAAAGGTACCTTTATTTGTATGATCAGTATTAATTACTGCTATTTTATTATTATTATCTTTACCTGTATTAGCAGGTGCTATTACTATATTATTAACTGATCGAAATTTTAATACTTCATTTTTTGATCCAGCTGGAGGAGGTGATCCAATTTTATTTCAACATTTATTTTGATTTTTTGGTCAC
CATAAAGATATTGGAACTTTATATTTAGTTTTTGGAGCTTGAGCTGCTATAGTAGGAACAGCAATAAGAGTATTAATTCGAATTGAGTTAGGACAAACGGGGAGATTTATAGGTGATGATCAATTATATAATGTAATTGTAACGGCTCATGCTTTTGTAATAATTTTTTTTATAGTTATACCTATTTTAATTGGGGGGTTTGGAAATTGATTAGTACCTTTAATATTAGGAGCTCCTGATATAGCCTTTCCTCGTATAAATAATTTGAGTTTTTGATTATTACCACCTTCTTTATTATTATTATTTATTTCTTCTATAGTAGAGATAGGAGTTGGAGCCGGATGAACAGTATATCCTCCTTTATCTTCTTTAGATGGTCATAGAGGAAGATCTGTAGATTTTGCTATTTTTTCTTTACACCTAGCTGGGGCTTCTTCTATTATAGGAGCTGTAAATTTTATTTCTACTATTTTAAATATACGTTCATTTGGAATATCTATAGAAAAGGTTCCTTTGTTTGTTTGATCTGTTTTAATTACTGCTGTATTATTATTATTATCATTACCTGTATTAGCTGGTGCTATTACTATATTATTAACTGATCGAAATTTTAATACTTCATTTTTTGATCCAGCTGGAGGTGGAGATCCTATTTTATTTCAACATTTGTTTTGATTTTTTGGTCAC
CATAAAGATATTGGAACTTTATATTTAATTTTTGGTGCTTGGGCCGCTATAGTAGGAACAGCAATAAGAGTATTAATTCGAGTAGAGTTAGGACAAACAGGAAGATTTATAGGTGATGATCAATTATATAATGTAATTGTAACAGCTCATGCATTTGTAATAATTTTTTTTATAGTTATACCAATTTTGATTGGAGGGTTTGGTAATTGATTAGTCCCATTAATATTAGGAGCTCCTGATATAGCATTTCCTCGTATAAATAATTTAAGTTTTTGATTATTACCTCCTTCTTTGTTATTATTATTTATTTCTTCTATAGTAGAAATAGGAGTTGGAGCGGGATGAACTGTATATCCTCCTTTATCATCTTTAGATGGACATGGGGGAAGATCTGTAGATTTTGCTATTTTTTCTTTACATTTAGCTGGAGCTTCTTCTATTATAGGAGCTGTAAATTTTATTTCTACTATTTTAAATATACGATCATATGGAATATCTATAGAAAAAGTTCCTTTATTTGTTTGATCAGTATTAATTACTGCCGTTTTATTACTTCTTTCGTTACCTGTATTAGCTGGTGCTATTACTATATTACTAACTGATCGAAATTTTAATACTTCTTTTTTTGATCCAGCTGGGGGTGGAGATCCTATTTTGTTTCAACATTTATTTTGATTTTTTGGTCAC
CATAAAGATATTGGAACTTTATATTTAATTTTTGGTGCTTGGGCCGCTATAGTAGGAACAGCAATAAGAGTATTAATTCGAGTAGAGTTAGGACAAACAGGAAGATTTATAGGTGATGATCAATTATATAATGTAATTGTAACAGCTCATGCATTTGTAATAATTTTTTTTATAGTTATACCAATTTTGATTGGAGGGTTTGGTAATTGATTAGTCCCATTAATATTAGGAGCTCCTGATATAGCATTTCCTCGTATAAATAATTTAAGTTTTTGATTATTACCTCCTTCTTTGTTATTATTATTTATTTCTTCTATAGTAGAAATAGGAGTTGGAGCGGGATGAACTGTATATCCTCCTTTATCATCTTTAGATGGACATGGGGGAAGATCTGTAGATTTTGCTATTTTTTCTTTACATTTAGCTGGAGCTTCTTCTATTATAGGAGCTGTAAATTTTATTTCTACTATTTTAAATATACGATCATATGGAATATCTATAGAAAAAGTTCCTTTATTTGTTTGATCAGTATTAATTACTGCCGTTTTATTACTTCTTTCGTTACCTGTATTAGCTGGTGCTATTACTATATTACTAACTGATCGAAATTTTAATACTTCTTTTTTTGATCCAGCTGGGGGTGGAGATCCTATTTTGTTTCAACATTTATTTTGATTTTTTGGTCAC
CATAAAGATATTGGAACTTTATATTTAATTTTTGGGGCTTGGGCTGCTATAGTAGGAACTGCTATAAGAGTATTAATTCGAATTGAATTAGGTCAAACTGGAAGATTTATAGGTGATGATCAATTATATAATGTAATTGTTACGGCTCATGCTTTTGTTATAATTTTTTTTATAGTAATACCTATTTTGATTGGAGGATTTGGAAATTGATTAGTTCCATTAATATTAGGGGCTCCTGATATAGCATTTCCTCGAATAAATAATTTAAGTTTTTGATTATTACCTCCTTCTTTATTATTATTATTTATTTCTTCAATAGTGGAAATAGGGGTTGGAGCGGGATGAACTGTATATCCCCCTTTATCTTCTTTAGATGGTCATGGAGGAAGATCTATAGATTTTGCTATTTTTTCTTTACATTTGGCTGGGGCTTCTTCTATTATAGGAGCTGTAAATTTTATTTCTACTGTATTAAATATACGGTCATATGGAATAGCAATAGAAAAGGTACCTTTATTTGTATGATCAGTATTAATTACTGCTGTATTATTATTGTTATCATTACCTGTTTTAGCTGGTGCTATTACTATATTATTAACAGATCGAAATTTTAATACTTCATTTTTTGACCCAGCTGGTGGTGGTGATCCTATTTTATTTCAACATTTGTTTTGATTTTTTGGTCAC
CATAAAGATATTGGAACTTTATATTTAATTTTTGGGGCTTGGGCTGCTATAGTAGGAACTGCTATAAGAGTATTAATTCGAATTGAATTAGGTCAAACTGGAAGATTTATAGGTGATGATCAATTATATAATGTAATTGTTACGGCTCATGCTTTTGTTATAATTTTTTTTATAGTAATACCTATTTTGATTGGAGGATTTGGAAATTGATTAGTTCCATTAATATTAGGGGCTCCTGATATAGCATTTCCTCGAATAAATAATTTAAGTTTTTGATTATTACCTCCTTCTTTATTATTATTATTTATTTCTTCAATAGTGGAAATAGGGGTTGGAGCGGGATGAACTGTATATCCCCCTTTATCTTCTTTAGATGGTCATGGAGGAAGATCTATAGATTTTGCTATTTTTTCTTTACATTTGGCTGGGGCTTCTTCTATTATAGGAGCTGTAAATTTTATTTCTACTGTATTAAATATACGGTCATATGGAATAGCAATAGAAAAGGTACCTTTATTTGTATGATCAGTATTAATTACTGCTGTATTATTATTGTTATCATTACCTGTTTTAGCTGGTGCTATTACTATATTATTAACAGATCGAAATTTTAATACTTCATTTTTTGACCCAGCTGGTGGTGGTGATCCTATTTTATTTCAACATTTGTTTTGATTTTTTGGTCAC
CATAAAGATATTGGAACTTTATATTTAATTTTTGGTGCTTGAGCTGCAATAGTAGGTACAGCTATAAGAGTATTAATTCGAATTGAGTTAGGACAAACAGGAAGATTTATAGGTGATGATCAATTATACAATGTAATTGTAACGGCTCATGCTTTTGTTATAATTTTTTTTATAGTTATACCTATTCTTATTGGAGGATTTGGAAATTGATTAGTTCCTTTAATGTTAGGTGCTCCTGATATAGCATTTCCTCGAATAAATAATTTGAGATTTTGGTTATTACCTCCTTCTTTATTATTATTATTCATTTCTTCTATAGTAGAAATAGGAGTAGGATCAGGATGAACTGTTTATCCTCCTTTATCGTCTTTGGACGGTCATGGTGGAAGATCTGTAGATTTTGCTATTTTTTCTTTACATTTGGCTGGAGCTTCTTCTATTATAGGAGCTGTTAATTTTATTTCTACTATTTTAAATATACGATCATATGGAATGTCTATAGAAAAAGTTCCTTTATTTGTCTGATCTGTGTTGATTACTGCCGTTTTATTATTATTATCTTTACCTGTATTAGCTGGTGCTATTACTATATTATTAACTGATCGTAATTTTAATACATCATTCTTTGATCCAGCTGGAGGTGGTGATCCTATTCTATTTCAACATTTATTTTGATTTTTTGGTCAC
CATAAAGATATTGGAACTTTATATTTAATTTTTGGTGCTTGAGCTGCAATAGTAGGTACAGCTATAAGAGTATTAATTCGAATTGAGTTAGGACAAACAGGAAGATTTATAGGTGATGATCAATTATACAATGTAATTGTAACGGCTCATGCTTTTGTTATAATTTTTTTTATAGTTATACCTATTCTTATTGGAGGATTTGGAAATTGATTAGTTCCTTTAATGTTAGGTGCTCCTGATATAGCATTTCCTCGAATAAATAATTTGAGATTTTGGTTATTACCTCCTTCTTTATTATTATTATTCATTTCTTCTATAGTAGAAATAGGAGTAGGATCAGGATGAACTGTTTATCCTCCTTTATCGTCTTTGGACGGTCATGGTGGAAGATCTGTAGATTTTGCTATTTTTTCTTTACATTTGGCTGGAGCTTCTTCTATTATAGGAGCTGTTAATTTTATTTCTACTATTTTAAATATACGATCATATGGAATGTCTATAGAAAAAGTTCCTTTATTTGTCTGATCTGTGTTGATTACTGCCGTTTTATTATTATTATCTTTACCTGTATTAGCTGGTGCTATTACTATATTATTAACTGATCGTAATTTTAATACATCATTCTTTGATCCAGCTGGAGGTGGTGATCCTATTCTATTTCAACATTTATTTTGATTTTTTGGTCAC
TTTCCTCGAATAAATAATTTAAGTTTTTGGTTATTGCCTCCTTCTTTATTATTATTATTTATTTCTTCAATAGTAGAAATGGGAGTTGGAGCTGGATGAACTGTTTATCCACCATTATCTTCTTTAGATGGTCATGGAGGAAGATCTGTTGATTTTGCTATTTTTTCTTTACACTTAGCTGGAGCTTCTTCTATTATGGGAGCTGTAAATTTTATTTCGACTGTATTAAATATACGGTCATATGGAATGACAATGGAAAAAGTTCCGTTATTTGTATGATCAGTATTAATTACTGCTGTTTTATTATTATTATCTTTACCTGTATTAGCAGGTGCTATTACTATATTATTAACTGATCGAAATTTTAATACTTCGTTTTTTGACCCAGCTGGGGGTGGGGATCCTATTTTATTTCAACATTTATTTTGATTTTTTGGTCAC
TTTCCTCGAATAAATAATTTAAGTTTTTGATTATTGCCTCCTTCTTTATTATTATTATTTATTTCTTCAATAGTAGAAATGGGAGTTGGAGCTGGATGAACTGTATATCCACCATTATCTTCTTTAGATGGTCATGGAGGAAGATCTGTTGATTTTGCTATTTTTTCTTTACATTTAGCTGGAGCTTCTTCTATTATGGGAGCTGTAAATTTTATTTCGACTGTATTAAATATACGGTCATATGGAATGACAATGGAAAAAGTTCCGTTATTTGTATGATCAGTATTAATTACTGCTGTTTTATTATTATTATCTTTACCTGTGTTAGCAGGTGCTATTACTATATTATTAACTGATCGAAATTTTAATACTTCGTTTTTTGACCCAGCTGGGGGTGGGGATCCTATTTTATTTCAACATTTATTTTGATTTTTTGGTCAC
CATAAAGATATTGGAACTTTATATTTAATTTTTGGAGCTTGAGCGGCTATAGTTGGAACAGCTATAAGAGTATTAATTCGAATTGAGTTAGGACAAACCGGAAGATTCATAGGTGATGATCAATTATATAATGTAATTGTAACGGCACATGCTTTTGTAATAATTTTTTTTATAGTTATACCTATTTTAATTGGTGGATTTGGTAATTGATTAGTTCCGTTAATATTAGGAGCTCCTGATATGGCATTTCCTCGAATAAATAATTTAAGTTTTTGATTATTACCACCTTCTTTAATATTATTATTTATTTCTTCTATAGTTGAAATAGGAGTTGGATCTGGATGAACCATTTATCCTCCGTTATCTTCTTTAGATGGACATGGAGGTAGATCTGTTGATTTTGCTATTTTTTCTTTACATTTGGCTGGAGCTTCTTCTATTATGGGTGCTGTAAATTTTATTTCTACAGTATTAAACATACGGTCATATGGAATGTCAATAGAAAAAGTTCCTTTATTTGTTTGATCAGTTTTAATTACTGCTGTTTTATTATTATTATCATTACCTGTGTTAGCAGGTGCTATTACAATATTATTAACTGATCGAAATTTTAATACTTCTTTTTTTGATCCAGCTGGGGGTGGAGATCCAATTTTATTTCAACATTTATTTTGATTTTTTGGTCAC
CATAAAGATATTGGTACATTATATTTAATTTTTGGAGCTTGAGCTGCTATAGTAGGAACAGCTATAAGAGTATTAATTCGTATTGAATTGGGTCAAACTGGAAGATTTATGGGTGATGATCAATTATATAATGTAATTGTTACGGCTCATGCTTTTGTAATAATTTTTTTTATAGTAATACCAATTTTAATTGGAGGATTTGGAAATTGATTAGTACCTTTAATATTAGGAGCTCCTGATATGGCTTTTCCTCGAATGAATAATTTAAGTTTTTGATTATTGCCCCCCTCTTTATTATTATTATTTATTTCTTCAATAGTGGAAATAGGGGTTGGAGCTGGATGAACTGTATATCCTCCTTTATCATCTTTAGATGGTCATAGAGGTAGATCTGTAGATTTTGCTATTTTTTCTTTACATTTAGCTGGAGCTTCTTCTATTATAGGAGCTGTAAATTTTATTTCTACTGTATTAAATATGCGATCTTATGGAATAACAATAGAAAAGGTACCTTTATTTGTATGATCAGTATTAATTACTGCTGTTTTATTATTATTATCTTTACCTGTATTAGCAGGTGCTATTACTATATTATTAACTGATCGAAATTTTAATACTTCATTTTTTGATCCAGCTGGAGGTGGAGATCCAATTTTATTTCAACATTTATTTTGATTTTTTGGTCAC
CATAAAGATATTGGAACTTTATATTTAATTTTTGGAGCTTGAGCGGCTATAGTTGGAACAGCTATAAGAGTATTAATTCGAATTGAGTTAGGACAAACCGGAAGATTCATAGGTGATGATCAATTATATAATGTAATTGTAACGGCACATGCTTTTGTAATAATTTTTTTTATAGTTATACCTATTTTAATTGGTGGATTTGGTAATTGATTAGTTCCATTAATATTAGGAGCTCCTGATATGGCATTTCCTCGGATAAATAATTTAAGTTTTTGATTATTACCACCTTCTTTAATATTATTATTTATTTCTTCTATAGTTGAAATAGGAGTTGGATCTGGATGAACCATTTATCCTCCTTTATCTTCTTTAGATGGGCATGGAGGTAGATCTGTTGATTTTGCTATTTTTTCTTTACATTTGGCTGGAGCTTCTTCTATTATGGGTGCTGTAAATTTTATTTCTACAGTATTAAACATACGGTCATATGGAATGTCAATAGAAAAAGTGCCTTTATTTGTTTGATCAGTTTTAATTACTGCTATTTTATTATTGTTATCATTACCTGTGTTAGCAGGTGCTATTACAATATTATTAACTGATCGAAATTTTAATACTTCTTTTTTTGACCCAGCTGGGGGTGGAGATCCAATTTTATTTCAACATTTATTTTGATTTTTTGGTCAC
CATAAAGATATTGGAACTTTATATTTAATTTTTGGAGCTTGAGCGGCTATAGTTGGAACAGCTATAAGAGTATTAATTCGAATTGAGTTAGGACAAACCGGAAGATTCATAGGTGATGATCAATTATATAATGTAATTGTAACGGCACATGCTTTTGTAATAATTTTTTTTATAGTTATACCCATTTTAATTGGTGGATTTGGTAATTGATTAGTTCCATTAATATTAGGAGCTCCTGATATGGCATTTCCTCGGATAAATAATTTAAGTTTTTGATTATTACCACCTTCTTTAATATTATTATTTATTTCTTCTATAGTTGAAATAGGAGTTGGATCTGGATGAACCATTTATCCTCCGTTATCTTCTTTAGATGGGCATGGAGGTAGATCTGTTGATTTTGCTATTTTTTCTTTACATTTGGCTGGAGCTTCTTCTATTATGGGTGCTGTAAATTTTATTTCTACAGTATTAAACATACGGTCATATGGAATGTCAATAGAAAAAGTGCCTTTATTTGTTTGATCAGTTTTAATTACTGCTATTTTATTATTATTATCATTACCTGTGTTAGCAGGTGCTATTACAATATTATTAACTGATCGAAATTTTAATACTTCTTTTTTTGATCCAGCTGGGGGTGGAGATCCAATTTTATTTCAACATTTATTTTGATTTTTTGGTCAC
CATAAAGATATTGGAACTTTATATTTAATTTTTGGGGCTTGAGCTGCTATAGTAGGAACTGCTATGAGAGTATTAATTCGAGTTGAATTAGGTCAAATTGGAAGTTTTATAGGTGATGATCAATTATATAATGTAATTGTTACTGCTCATGCTTTTGTTATAATTTTTTTTATAGTTATACCTATTTTAATTGGGGGATTTGGGAATTGATTGGTTCCTTTAATGTTAGGAGCTCCTGATATAGCTTTTCCTCGAATAAATAATCTTAGTTTTTGATTGCTACCTCCTTCTTTATTATTATTATTTATCTCATCTATAGTAGAAATGGGTGTTGGGGCTGGATGAACTGTTTATCCTCCTTTATCATCTTTGGATGGTCATGGAGGAAGATCTGTGGATTTTGCTATTTTTTCTTTACATTTAGCTGGGGCTTCTTCTATTATAGGGGCTGTAAATTTTATTTCTACTGTATTAAATATGCGATCATATGGTATGACAATAGAAAAAGTTCCTTTATTTGTTTGATCAGTTTTAATTACTGCTATCTTATTATTATTGTCTTTACCTGTGTTAGCAGGTGCTATTACTATACTATTAACTGATCGAAACTTTAATACTTCGTTTTTTGATCCGGCTGGAGGTGGTGATCCTATTTTGTTTCAACATTTATTTTGATTTTTTGGTCA-C
CATAAAGATATTGGAACTTTATATTTAATTTTTGGGGCTTGAGCTGCTATAGTAGGAACTGCTATGAGAGTATTAATTCGAGTTGAATTAGGTCAAATTGGAAGTTTTATAGGTGATGATCAATTATATAATGTAATTGTTACTGCTCATGCTTTTGTTATAATTTTTTTTATAGTTATACCTATTTTAATTGGGGGATTTGGGAATTGATTGGTTCCTTTAATGTTAGGAGCTCCTGATATAGCTTTTCCTCGAATAAATAATCTTAGTTTTTGATTGCTACCTCCTTCTTTATTATTATTATTTATCTCATCTATAGTAGAAATGGGTGTTGGGGCTGGATGAACTGTTTATCCTCCTTTATCATCTTTGGATGGTCATGGAGGAAGATCTGTGGATTTTGCTATTTTTTCTTTACATTTAGCTGGGGCTTCTTCTATTATAGGGGCTGTAAATTTTATTTCTACTGTATTAAATATGCGATCATATGGTATGACAATAGAAAAAATTCCTTTATTTGTTTGATCAGTTTTAATTACTGCTATCTTATTATTATTGTCTTTACCTGTGTTAGCAGGTGCTATTACTATACTATTAACTGATCGAAACTTTAATACTTCGTTTTTTGATCCGGCTGGAGGTGGTGATCCTATTTTGTTTCAACATTTATTTTGATTTTTTGGTCA-C
CATAAAGATATTGGTACTTTATATTTAATCTTTGGAGCTTGGGCTGCTATAGTAGGAACAGCTATAAGAGTATTAATTCGAATTGAATTAGGTCAAACTGGAAGATTTATGGGTAATGATCAATTATATAATGTAATTGTTACAGCTCATGCTTTTGTAATAATCTTTTTTATAGTAATGCCAATTTTAATTGGTGGTTTTGGAAATTGATTAGTACCTTTAATATTGGGAGCTCCTGATATAGCTTTTCCTCGAATAAATAATTTGAGTTTTTGATTATTGCCTCCTTCTTTATTATTATTATTTATTTCTTCAATAGTGGAAATGGGAGTTGGAGCTGGATGAACTGTATATCCACCTTTATCTTCTTTGGATGGTCATGGAGGTAGATCTGTGGATTTTGCTATTTTTTCTTTACATTTAGCTGGAGCTTCTTCTATTATAGGGGCTGTAAATTTTATTTCTACTGTATTAAATATACGATCATATGGAATAACAATAGAAAAAGTACCTTTATTTGTATGATCAGTGTTAATTACTGCTGTTTTATTATTATTATCTTTACCTGTATTAGCAGGTGCTATTACTATATTATTAACTGATCGAAATTTTAATACTTCATTTTTTGATCCAGCTGGAGGGGGGGATCCAATTTTATTTCAACATTTATTTTGATTTTTTGGTCAC
CATAAAGATATTGGTACTTTATATTTAATCTTTGGAGCTTGGGCTGCTATAGTAGGAACAGCTATAAGAGTATTAATTCGAATTGAATTAGGTCAAACTGGAAGATTTATGGGTGATGATCAATTATATAATGTAATTGTTACAGCTCATGCTTTTGTAATAATCTTTTTTATAGTAATGCCAATTTTAATTGGTGGTTTTGGAAATTGATTAGTACCTTTAATATTGGGAGCTCCTGATATAGCTTTTCCTCGAATAAATAATTTGAGTTTTTGATTATTGCCTCCTTCTTTATTATTATTATTTATTTCTTCAATAGTGGAAATGGGAGTTGGAGCTGGATGAACTGTATATCCACCTTTATCTTCTTTGGATGGTCATGGAGGTAGATCTGTGGATTTTGTTATTTTTTCTTTACATTTAGCTGGAGCTTCTTCTATTATAGGGGCTGTAAATTTTATTTCTACTGTATTAAATATACGATCATATGGAATAACAATAGAAAAAGTACCTTTATTTGTATGATCAGTGTTAATTACTGCTGTTTTATTATTATTATCTTTACCTGTATTAGCAGGTGCTATTACTATATTATTAACTGATCGAAATTTTAATACTTCATTTTTTGATCCAGCTGGAGGGGGGGATCCAATTTTATTTCAACATTTATTTTGATTTTTTGGTCAC
---------------------------------ATTGGAACTTTATATTTATTATTTGGAGGTTGAGCTGCAATAGTTGGAACAGCTATAAGAGTATTAATTCGAATTGAATTAGGACAGCCAGGAAGG---TTTTTAGGTGATGATCAATTATATAATGTTGTAGTTACAGCTCATGCTTTTGTTATAATTTTTTTTATAGTAATACCAATTTTGATTGGTGGGTTTGGAAATTGATTAGTTCCTTTAATATTAGGAGCTCCTGATATAGCATTTCCTCGAATAAATAATTTAAGATTTTGATTATTACCTCCTTCATTATTATTATTATTTATTTCATCTATAGTAGAAATGGGAGTAGGAGCAGGGTGAACAGTATATCCTCCTCTTTCATCATTAGAAGGACATGCTGGAAATTCTGTAGATTTTGCTATTTTTTCTTTACATTTAGCTGGTGCATCTTCAATTATAGGAGCTGTTAATTTTATTTCTACTATTTTTAATATACGAATATATGGAATAAGATTTGAGAAAGTTTCTTTATTTGTTTGATCAGTATTAATTACTGCTGTATTATTATTATTATCATTACCGGTTTTAGCTGGAGCTATTACAATATTATTAACTGATCGTAATTTTAATACTTCATTTTTTGATCCGGCAGGAGGAGGAGATCCAATTTTATTTCAACATTTATTTTGATTTTTTGGTCATCCTGAAGTTTATATTTTAATTTTACCAGGGTTTGGAATTATTTCTCATGTAATTAGATCTTCTGTAGGAAAGCGAGAGCCTTTTGGAAGATTAGGAATAATTTATGCTATAGTAGGAATTGGGGGGATGGGATTTGTTGTTTGAGCTCATCATATATTTTCTGTAGGAATAGATGTAGATACTCGTGCTTATTTTACTGCGGCTACTATAATTATTGCTGTTCCAACTGGAATTAAGATTTTTAGATGAATAGCAACTTTATATGGATCTTTTTTTAAAATA------AATACTTCTTTAATATGAAGAATTGGATTTGTTTTTTTATTTACATTAGGAGGAATTACAGGAGTAATTTTATCTAATTCTTCTTTAGATATTGTATTACATGATACTTATTATGTAGTGGCTCATTTTCATTATGTTTTGAGAATAGGAGCGGTGTTTGCTATTTTAGCAGGATTATCTTATTGAATATATTTGTTTTTTGGAATTAAATTAAATGTAAAAAAGAGAAAGTTACAATTTTGAATTATATTTATTGGTGTAAATTTAACATTTTTTCCTCAACATTTTTTAGGGTTAAATGGGATACCACGTCGATATTCTGATTATCCAGATGTTTATTATTTTTGAAATATGATTTCTTCTTTAGGTTCATTAATATCTTTATTTGGTGTATTGTTTTTTATTATTATTGTTTGAGAAAGAATAGTAATAAAAAATAAAAATGTTACATTATATTATGTTTCATCTTCATTAGAATGAATTAAT---AATATTCCTCCTTTAGATCACACT------------------------------------------------TTTAATCAATTAAATTTATTA---AATAATTATTGCCAA---------------TTTGAGGTTCATTATATTTTCAGAATAGATCATCTTATGTAA------------
---------------------------------ATTGGAACTTTATATTTATTATTTGGAGGTTGAGCTGCAATAGTTGGAACAGCTATAAGAGTATTAATTCGAATTGAATTAGGACAGCCAGGAAGG---TTTTTAGGTGATGATCAATTATATAATGTTGTAGTTACAGCTCATGCTTTTGTTATAATTTTTTTTATAGTAATACCAATTTTGATTGGTGGATTTGGAAATTGATTAGTTCCTTTAATATTAGGAGCTCCTGATATAGCATTTCCTCGAATAAATAATTTAAGATTTTGATTATTACCTCCTTCATTATTATTATTATTTATTTCATCTATAGTAGAAATGGGAGTAGGAGCAGGGTGAACAGTATATCCTCCTCTTTCATCATTAGAAGGACATGCTGGAAATTCTGTAGATTTTGCTATTTTTTCTTTACATTTAGCTGGTGTATCTTCAATTATAGGAGCTGTTAATTTTATTTCTACTATTTTTAATATACGAATATATGGAATAAGATTTGAGAAAGTTTCTTTATTTGTTTGATCAGTATTAATTACTGCTGTATTATTATTATTATCATTACCGGTTTTAGCTGGAGCTATTACAATATTATTAACTGATCGTAATTTTAATACTTCATTTTTTGATCCGGCAGGAGGAGGAGATCCAATTTTATTTCAACATTTATTTTGATTTTTTGGTCATCCTGAAGTTTATATTTTAATTTTACCAGGGTTTGGAATTATTTCTCATGTAATTAGATCTTCTGTAGGAAAGCGAGAGCCTTTTGGAAGATTAGGAATAATTTATGCTATAGTAGGAATTGGGGGGATGGGATTTGTTGTTTGAGCTCATCATATATTTTCTGTAGGAATAGATGTAGATACTCGTGCTTATTTTACTGCAGCTACTATAATTATTGCTGTTCCAACTGGAATTAAGATTTTTAGATGAATAGCAACTTTATATGGTTCTTTTTTTAAAATA------AATACTTCTTTAATATGAAGAATTGGATTTGTTTTTTTATTTACATTAGGAGGAATTACAGGAGTAATTTTATCTAATTCTTCTTTAGATATTGTATTACATGATACTTATTATGTAGTGGCTCATTTTCATTATGTTTTGAGAATAGGAGCGGTGTTTGCTATTTTAGCAGGATTATCTTATTGAATATATTTGTTTTTTGGAATTAAATTAAATGTAAAAAAGAGAAAGTTACAATTTTGAATTATATTTATTGGTGTAAATTTAACATTTTTTCCTCAACATTTTTTAGGGTTAAATGGGATACCACGTCGATATTCTGATTATCCAGATGTTTATTATTTTTGAAATATGATTTCTTCTTTAGGTTCATTAATATCTTTATTTGGTGTATTGTTTTTTATTATTATTGTTTGAGAAAGAATAGTAATAAAAAATAAAAATGTTACATTATATTATGTTTCATCTTCATTAGAATGAATTAAT---AATATTCCTCCTTTAGATCACACT------------------------------------------------TTTAATCAATTGAATTTATTA---AATAATTATTGCCAA---------------TTTGAGGTTCATTATATTTTCAGAATAGATCATCTTATGTAA------------
CATAAAGATATTGGAACTTTATATTTATTATTTGGAGGTTGAGCTGCAATAGTTGGAACAGCTATAAGAGTATTAATTCGAATTGAATTAGGACAGCCAGGAAGGTTTTTAGGTGATGATCAATTGTATAATGTTGTAGTTACAGCTCATGCTTTTGTTATAATTTTTTTTATAGTAATACCAATTTTGATTGGTGGATTTGGAAATTGATTAGTTCCTTTAATATTAGGAGCTCCTGATATAGCATTTCCTCGAATAAATAATTTAAGATTTTGATTATTACCTCCTTCATTATTATTATTATTTATTTCATCTATAGTAGAAATAGGGGTAGGAGCAGGGTGAACAGTATATCCTCCTCTTTCATCATTAGAAGGACATGCTGGAAATTCTGTAGATTTTGCTATTTTTTCTTTACATTTAGCTGGTGCATCTTCAATTATAGGAGCTGTTAATTTTATTTCTACTATTTTTAATATACGAATATATGGAATAAGATTTGAGAAAGTTTCTTTATTTGTTTGATCAGTATTAATTACTGCTGTATTATTATTATTATCATTACCGGTTTTAGCTGGAGCTATTACAATATTATTAACTGATCGTAATTTTAATACTTCATTTTTTGATCCGGCAGGAGGAGGAGATCCAATTTTATTTCAACATTTATTTTGATTTTTTGGTCAC
------------------------------------------------TTGTTGTTTGGTGGTTGAGCGGCTATAGTAGGAACTGCAATAAGAGTATTAATTCGAATTGAATTAGGTCAACCTGGTAGA---TTTTTAGGTGATGATCAATTATATAATGTTGTAGTTACGGCTCATGCTTTTGTAATAATTTTTTTTATAGTGATACCTATTTTAATTGGAGGATTTGGAAATTGATTAGTTCCTTTAATATTAGGTGCTCCTGATATAGCTTTCCCTCGAATAAATAATTTAAGATTTTGATTATTACCTCCTTCATTATTATTATTATTTATTTCGTCTATAGTTGAAATAGGAGTAGGGGCAGGTTGAACAGTTTATCCCCCTTTATCTTCTTTAGAAGGTCATGCTGGAAATTCTGTTGATTTTGCTATTTTTTCTTTACATTTGGCTGGGGCATCTTCTATTATAGGAGCTGTAAATTTTATTTCTACAATTTTTAATATACGAATATATGGAATAAGATTTGAAAAAGTTTCTTTATTTGTTTGATCAGTGTTAATTACTGCTGTATTATTATTATTATCATTACCGGTATTAGCAGGTGCCATTACTATATTGTTAACTGATCGAAATTTTAATACTTCATTTTTTGATCCAGCAGGAGGAGGGGATCCTATTTTATTTCAACATTTATTTTGATTTTTTGGTCATCCTGAAGTATATATTTTGATTTTACCAGGATTTGGTATTATTTCTCATGTAATTAGATCTTCTATAGGAAAGCGAGAACCTTTTGGAAGATTAGGAATAATTTATGCTATGGTTGGAATTGGAGGGATAGGATTTGTTGTTTGGGCACATCATATATTTTCTGTAGGAATGGATGTTGATACTCGAGCTTATTTTACTGCTGCCACAATAATTATTGCGGTTCCTACTGGGATTAAAATTTTTAGTTGAATGGCAACTTTATATGGTTCTTTTTTTAAAATA------AATGTTTCTTTAATATGAAGAATTGGTTTTGTTTTTTTATTTACGTTGGGTGGAATTACAGGGGTTATTTTATCTAATTCTTCATTGGATATTATTTTACATGATACTTATTATGTAGTAGCTCATTTTCATTATGTATTAAGAATAGGGGCTGTGTTCGCTATTTTGGCTGGATTAACATATTGAATAAATTTATTTTTTGGAATTAAGTTAAATGTAAAAAAGAGAAAATTACAATTTTGAATTATATTTATTGGGGTAAATTTAACTTTTTTTCCTCAACATTTTTTAGGATTAAATGGAATACCTCGTCGGTATTCTGATTATCCAGATGTTTATTATTTTTGAAATATAATTTCTTCTTTAGGATCTTTAATATCTTTATTTGGTGTTTTATTTTTTGTTGTAATTATTTGAGAAAGAATAGTTTTAAAGAATAAAAATATAACATTATATTATGTTTCATCTTCTTTAGAATGATTGAAT---AATACTCCTCCTTTAGACCATACT------------------------------------------------TTTAATCAATTAAATTTATTA---AATAATTATTGCCAA---------------TTTGAGGTTCTTTATATTTTCAGAATAGATCTTCTTATGTTATAG---------
CATAAAGATATTGGGACTTTATATTTGTTGTTTGGTGGTTGAGCGGCTATAGTAGGAACTGCAATAAGAGTATTAATTCGAATTGAATTAGGTCAACCTGGTAGATTTTTAGGTGATGATCAATTATATAATGTTGTAGTTACGGCTCATGCTTTTGTAATAATTTTTTTTATAGTGATACCTATTTTAATTGGAGGATTTGGAAATTGATTAGTTCCTTTAATATTAGGTGCTCCTGATATAGCTTTCCCTCGAATAAATAATTTAAGATTTTGATTATTACCTCCTTCATTATTATTATTATTTATTTCGTCTATAGTTGAAATAGGAGTAGGGGCAGGTTGAACAGTTTATCCCCCTTTATCTTCTTTAGAAGGTCATGCTGGAAATTCTGTTGATTTTGCTATTTTTTCTTTACATTTGGCTGGGGCATCTTCTATTATAGGAGCTGTAAATTTTATTTCTACAATTTTTAATATACGAATATATGGAATAAGATTTGAAAAAGTTTCTTTATTTGTTTGATCAGTGTTAATTACTGCTGTATTATTATTATTATCATTACCGGTATTAGCAGGTGCCATTACTATATTGTTAACTGATCGAAATTTTAATACTTCATTTTTTGATCCAGCAGGAGGAGGGGATCCTATTTTATTTCAACATTTATTTTGATTTTTTGGTCAC
CATAAAGATATTGGAACATTATATTTATTATTTGGTGGTTGAGCTGCTATAGTAGGAACAGCAATAAGAGTATTAATTCGAATTGAATTAGGTCAACCAGGAAGATTTTTAGGTGATGATCAATTATATAATGTTGTAGTAACAGCTCATGCTTTTGTAATAATTTTTTTTATAGTAATACCAATTTTAATTGGTGGATTTGGAAATTGATTAGTTCCTTTAATATTAGGGGCTCCTGATATAGCTTTTCCTCGAATAAATAATTTAAGATTTTGATTATTACCTCCTTCTTTATTATTATTATTTATTTCATCTATAGTGGAAATAGGTGTAGGAGCAGGATGAACAGTATATCCTCCTTTATCTTCTTTAGAAGGACATGCTGGTAATTCTGTTGATTTTGCTATTTTTTCTTTACATTTAGCTGGAGCATCTTCAATTATAGGAGCTGTAAATTTTATTTCTACTATTTTTAATATACGAATATATGGAAT-AAGATTTGAAAAAGTTTCTTTATTTGTTTGATCTGTTTTAATTACTGCTGTATTATTATTATTATCTTTACCTGTATTAGCAGGGGCAATTACAATATTATTAACTGATCGAAATTTTAATACTTCGTTTTTTGATCCAGCAGGAGGAGGAGATCCTATTTTATTTCAACATTTATTTTGATTTTTTGGTCAC
CATAAAGATATTGGAAGATTGTATTTATTATTTGGAATATGAGCTGCTATAGTAGGAACAGCAATAAGAGTATTAATTCGGATTGAATTAGGACAACCAGGGAGATTTTTAGGAGATGATCAATTATATAATGTTATTGTTACTGCCCATGCTTTTGTAATAATTTTTTTTATAGTAATACCTGTATTAATTGGAGGATTTGGAAATTGGTTAGTACCTTTAATATTAGGGGCTCCTGATATAGCTTTTCCTCGGATAAATAATTTAAGATTTTGATTATTACCTCCATCTTTATTATTATTATTAATTTCTTCTATGATTGAAATAGGGGTAGGGGCTGGATGGACAGTTTATCCTCCTTTATCTTCTTTGGAAGGGCATTCAGGGGTATCTATAGATTTAGCAATTTTTTCATTACATTTAGCTGGGGCTTCTTCAATTATAGGGGCTATTAATTTTATTTCTACAATTTTAAATATACGTAGAAATTTAAT-AAGTTTAGATAAAATATCTTTGTTTGTATGATCTGTGTTTATTACTGCTGTATTATTATTATTATCTTTACCTGTTTTAGCAGGTGCTATCACTATATTATTAACTGATCGAAATTTTAATACCTCATTTTTTGATCCTTCAGGAGGGGGGGATCCTATTTTATTTCAACATTTATTTTGATTTTTTGGTCAC
CATAAAGATATTGGTACATTGTATTTGATTTTTGGGGCTTGGGCAGCTATAGTTGGGACAGCAATAAGAGTATTAATTCGTACTGAGTTAGGACAACCTGGTAGATTGTTAGGTGACGACCAGTTATATAATGTAATTGTAACAGGGCATGCTTTTGTTATAATTTTTTTTATAGTAATGCCTATTTTGATTGGAGGGTTTGGGAACTGATTAGTTCCTCTGATATTAGGAGCTCCTGATATGGCTTTCCCTCGAATAAATAATTTAAGATTTTGACTTTTACCTTCATCATTGATTTTATTGTTTATTTCTTCTTTAGAGGAAGTAGGGGTTGGGGCAGGATGAACAATCTACCCGCCTTTGTCAAGATTAGAGGGTCATAGAGGGAGATCTGTGGATTTTGCTATTTTTTCCTTGCATTTGGCAGGTGCTTCTTCTATTATAGGGGCTATTAATTTTATTTCTACTATTTTAAACATACGTTTAGTAGGGGTTTCGATAGAAAAGGTAAGATTATTTGTCTGGTCAGTGTTGATCACTGCGGTATTATTATTGTTATCATTACCTGTTTTAGCTGGTGCCATTACTATACTACTAACTGATCGTAATTTTAATACTTCATTTTTTGATCCTGCTGGTGGGGGGGACCCCATTTTATTTCAACATTTGTTTTGATTTTTTGGTCA-C
---CGATGGTTATATTCTACTAATCATAAAGATATTGGTACATTGTATTTGATTTTTGGGGCTTGGGCAGCTATAGTTGGGACAGCAATAAGAGTATTAATTCGTACTGAGTTAGGACAACCTGGTAGA---TTGTTAGGTGACGACCAGTTATATAATGTAATTGTAACAGGGCATGCTTTTGTTATAATTTTTTTTATAGTAATGCCTATTTTGATTGGAGGGTTTGGGAACTGATTAGTTCCTCTGATATTAGGAGCTCCTGATATGGCTTTCCCTCGAATAAATAATTTAAGATTTTGACTTTTACCTTCATCATTGATTTTATTGTTTATTTCTTCTTTAGAGGAAGTAGGGGTTGGGGCAGGATGAACAATCTACCCGCCTTTGTCAAGATTAGAGGGTCATAGAGGGAGATCTGTGGATTTTGCTATTTTTTCCTTGCATTTGGCAGGTGCTTCTTCTATTATAGGGGCTATTAATTTTATTTCTACTATTTTAAACATACGTTTAGTAGGGGTTTCGATAGAAAAGGTAAGATTATTTGTCTGGTCAGTGTTGATCACTGCGGTATTATTATTGTTATCATTACCTGTTTTAGCTGGTGCCATTACTATACTACTAACTGATCGTAATTTTAATACTTCATTTTTTGATCCTGCTGGTGGGGGGGACCCCATTTTATTTCAACATTTGTTTTGATTTTTTGGGCACCCTGAGGTTTATATTTTAATTTTGCCTGGATTTGGGATTGTATCTCATGTTATTAGAGCTTCTGTAGGGAAGCGGGAGCCTTTTGGTAGTTTAGGAATAATTTATGCTATAGTAGGAATTGGAGGGATAGGTTTTGTTGTGTGAGCGCATCATATATTTTCAGTTGGAATGGATGTGGATACCCGGGCATATTTTACTGCTGCTACTATAATTATTGCAGTGCCGACAGGTATTAAGGTCTTTAGATGGATAGCTACTTTGCATGGTTCTTATTTTAAATTA------GATACATCTTTATTATGGTGTGTAGGTTTTGTGTTTTTGTTTACTTTAGGAGGAATTACAGGGGTAGTGCTTTCAAATTCTTCTTTAGATATTGTTTTACATGATACTTATTATGTTGTAGCCCATTTTCATTATGTCTTGAGAATGGGGGCTGTTTTTGCTATTTTGGCTGGTGCTACTTATTGATTTTCTTTATTTTTTGGATTGAAGATGAGAATGAAGAAAAGAAAGCTTCAGTTTTATATTATATTTTTGGGTGTGAATATAACTTTTTTTCCTCAACACTTTTTAGGGTTAAATGGGATACCTCGACGATACTCAGATTATCCGGATGCATTTTCTTTTTGAAATATAATTTCTTCTTTAGGTTCTTTACTTTCTTTATTTGGTGTTTTAATATTTATTTTGATTTTATGGGAAGGTATAGTAATAAAGAGAGGAAGTTTAAGTACTTATTATTCTAGATCGTCTTTAGAGTGAATAAAT---AATGTTCCTCCTATAGATCATACT------------------------------------------------TTCAATCATTTGAATTTGTTA---GTGAAGTAA---------------------------------------------------------------------------
--TAAAGATATTGGTACATTGTATTTGATTTTTGGGGCTTGGGCAGCTATAGTTGGGACAGCAATAAGAGTATTAATTCGTACTGAGTTAGGACAACCTGGTAGATTGTTAGGTGACGACCAGTTATATAATGTAATTGTAACAGGGCATGCTTTTGTTATAATTTTTTTTATAGTAATGCCTATTTTGATTGGAGGGTTTGGGAACTGATTAGTTCCTCTGATATTAGGAGCTCCTGATATGGCTTTCCCTCGAATAAATAATTTAAGATTTTGACTTTTACCTTCATCATTGATTTTATTGTTTATTTCTTCTTTAGAGGAAGTAGGGGTTGGGGCAGGATGAACAATCTACCCACCTTTGTCAAGATTAGAGGGTCATAGAGGGAGATCTGTGGATTTTGCTATTTTTTCCTTGCATTTGGCAGGTGCTTCTTCTATTATAGGGGCTATTAATTTTATTTCTACTATTTTAAACATACGTTTAGTAGGGGTTTCGATAGAAAAGGTAAGATTATTTGTCTGGTCAGTGTTGATCACTGCGGTATTATTATTGTTATCATTACCTGTTTTAGCTGGTGCCATTACTATACTACTAACTGATCGTAATTTTAATACTTCATTTTTTGATCCTGCTGGGGGGGGGGACCCCATTTTATTTCAACATTTGTTTTGATTTTTTGGTCA-C
---CGATGGTTATATTCTACTAATCATAAAGATATTGGTACATTGTATTTGATTTTTGGGGCTTGGGCAGCTATAGTTGGGACAGCAATAAGAGTATTAATTCGTACTGAGTTAGGACAACCTGGTAGA---TTGTTAGGTGACGACCAGTTATATAATGTAATTGTAACAGGGCATGCTTTTGTTATAATTTTTTTTATAGTAATGCCTATTTTGATTGGAGGGTTTGGGAACTGATTAGTTCCTCTGATATTAGGAGCTCCTGATATGGCTTTCCCTCGAATAAATAATTTAAGATTTTGACTTTTACCTTCATCATTGATTTTATTGTTTATTTCTTCTTTAGAGGAAGTAGGGGTTGGGGCAGGATGAACAATCTACCCGCCTTTGTCAAGATTAGAGGGTCATAGAGGGAGATCTGTGGATTTTGCTATTTTTTCCTTGCATTTGGCAGGTGCTTCTTCTATTATAGGGGCTATTAATTTTATTTCTACTATTTTAAACATACGTTTAGTAGGGGTTTCGATAGAAAAGGTAAGATTATTTGTCTGGTCAGTGTTGATCACTGCGGTATTATTATTGTTATCATTACCTGTTTTAGCTGGTGCCATTACTATACTACTAACTGATCGTAATTTTAATACTTCATTTTTTGATCCTGCTGGTGGGGGGGACCCCATTTTATTTCAACATTTGTTTTGATTTTTTGGGCACCCTGAGGTTTATATTTTAATTTTGCCTGGATTTGGGATTGTATCTCATGTTATTAGAGCTTCTGTAGGGAAGCGGGAGCCTTTTGGTAGTTTAGGAATAATTTATGCTATAGTAGGAATTGGAGGGATAGGTTTTGTTGTGTGAGCGCATCATATATTTTCAGTTGGAATGGATGTGGATACCCGGGCATATTTTACTGCTGCTACTATAATTATTGCAGTGCCGACAGGTATTAAGGTCTTTAGATGGATAGCTACTTTGCATGGTTCTTATTTTAAATTA------GATACATCTTTATTATGGTGTGTAGGTTTTGTGTTTTTGTTTACTTTAGGAGGAATTACAGGGGTAGTGCTTTCAAATTCTTCTTTAGATATTGTTTTACATGATACTTATTATGTTGTAGCCCATTTTCATTATGTCTTGAGAATGGGGGCTGTTTTTGCTATTTTGGCTGGTGCTACTTATTGATTTTCTTTATTTTTTGGATTGAAGATGAGAATGAAGAAAAGAAAGCTTCAGTTTTATATTATATTTTTGGGTGTGAATATAACTTTTTTTCCTCAACACTTTTTAGGGTTAAATGGGATACCTCGACGATACTCAGATTATCCGGATGCATTTTCTTTTTGAAATATAATTTCTTCTTTAGGTTCTTTACTTTCTTTATTTGGTGTTTTAATATTTATTTTGATTTTATGGGAAGGTATAGTAATAAAGAGAGGAAGTTTAAGTACTTATTATTCTAGATCGTCTTTAGAGTGAATAAAT---AATGTTCCTCCTATAGATCATACT------------------------------------------------TTCAATCATTTGAATTTGTTA---GTGAAGTAA---------------------------------------------------------------------------
CATAAAGATATTGGCACATTATATTTAGTTTTTGGGGTTTGGTCCGCTATAGTAGGGACAGCAATAAGAGTCCTAATTCGAGTGGAATTAGGTCAGCCGGGTAGATTACTAGGAGATGATCAATTATATAATGTTATTGTAACAGGGCATGCTTTTATCATAATTTTTTTTATAGTAATACCAATTTTGATTGGGGGGTTTGGGAACTGGTTAGTCCCTTTAATACTGGGGGCTCCAGATATAGCTTTCCCGCGAATAAATAATTTGAGATTCTGATTGTTACCACCTTCCCTACTCCTGTTATTTATCTCTTCTATGGAGGAAATAGGAGTAGGGGCTGGTTGAACTATTTACCCCCCTTTGTCCTCGTTAGAAGGACACAGAGGAAGATCTGTAGATTTTGCAATTTTTTCGTTACATTTGGCCGGGGCTTCTTCTATTATAGGAGCTATCAATTTTATTTCAACTATTTTAAATATACGAATAGTTGGGATAAAAATGGAAAAATTAAGATTGTTTGTGTGATCAGTTTTGATTACAGCTGTGCTCTTATTACTTTCGTTACCTGTTTTAGCAGGGGCTATTACAATACTATTAACCGATCGGAATTTTAATACTACTTTTTTCGACCCTGCTGGGGGGGGAGATCCTATCTTATTTCAGCATTTATTCTGATTTTTTGGTC
CATAAAGATATTGGCACATTATATTTAGTTTTTGGGGTTTGGTCCGCTATAGTAGGGACAGCAATAAGAGTTTTAATTCGAGTGGAATTAGGTCAACCGGGTAGATTATTAGGAGATGATCAATTATATAATGTGATTGTAACAGGGCATGCTTTTATTATAATTTTTTTTATAGTAATACCAATTTTAATTGGTGGGTTCGGGAACTGGTTAATCCCTTTAATATTGGGGGCTCCAGATATAGCTTTCCCGCGGATAAATAATTTGAGATTTTGATTGTTACCGCCTTCCCTACTCCTATTATTTATCTCTTCTATAGAGGAAATAGGAGTAGGGGCTGGTTGAACTATTTACCCCCCCTTGTCTTCGTTAGAAGGGCACAGAGGGAGATCTGTAGATTTTGCTATTTTTTCGTTACATTTGGCCGGGGCTTCTTCTATTATAGGAGCCATTAATTTTATTTCAACTATTTTAAATATGCGAATAGTTGGGGTAAAAATGGAAAAATTAAGATTGTTTGTGTGATCAGTTTTGATTACAGCTGTGCTCTTATTACTTTCGTTACCTGTTTTAGCAGGGGCTATTACAATACTATTAACTGATCGCAATTTTAATACTACTTTTTTCGACCCTGCTGGGGGAGGAGATCCTATCTTATTTCAGCATTTATTCTGATTTTTTGGTC
CATAAAGATATTGGTACATTATATTTAGTTTTTGGGGTTTGGTCCGCTATAGTAGGTACAGCAATAAGAGTCCTAATTCGAGTGGAATTAGGTCAGCCGGGTAGATTATTAGGAGATGACCAATTATATAATGTGATTGTAACAGGACATGCTTTTATTATAATTTTTTTTATAGTAATACCGATTTTAATTGGGGGGTTTGGGAACTGGTTAGTCCCTTTAATACTGGGGGCTCCAGATATGGCTTTCCCGCGGATAAATAATTTGAGATTCTGATTGTTACCACCTTCCCTACTCCTATTATTTATCTCTTCTATGGAGGAAATAGGAGTAGGGGCTGGTTGGACTATTTACCCCCCTTTGTCTTCGTTAGAAGGGCACAGAGGGAGATCTGTAGATTTTGCAATTTTTTCGTTACATTTGGCTGGGGCTTCTTCTATTATAGGAGCTATTAATTTTATTTCAACTATTTTAAATATACGAATAGTTGGGATAAAAATGGAAAAATTAAGATTGTTTGTGTGATCAGTTTTGATTACAGCTGTGCTTTTATTACTATCGTTACCTGTTTTAGCAGGGGCTATTACAATACTATTAACCGATCGGAATTTTAATACTACTTTTTTTGACCCTGCTGGGGGGGGGGATCCTATCTTATTTCAGCATTTATTCTGATTTTTTGGTC
--------------------------------------------------------------------------------------------------------------------------------------------------------------------------------------------------------------------GGTTCCTTTAATATTAGGAGCTCCTGATATAGCATTTCCTCGGATAAATAATTTAAGATTTTGATTATTACCTCCTTCTTTATTTCTTTTATTTATTTCTTCTATAGTAGAAATAGGAGTAGGGGCTGGGTGAACTGTTTATCCTCCCTTGTCTTCGTTAGATGGCCATGGAGGAAGATCAGTGGATTTTGCTATTTTTTCATTACATTTAGCTGGTGCATCTTCTATTATAGGAGCTGTAAATTTTATTTCTACTATTCTAAACATACGGTCTTATGGAAT-AAGAATAGAAAAGGTTCCTTTATTTGTGTGATCAGTATTAATTACAGCTGTCTTATTATTATTATCATTACCTGTATTAGCGGGTGCAATTACAATGTTATTAACTGATCGAAATTTTAATACATCTTTTTTTGATCCTGCAGGAGGTGGAGATCCTATTTTATTTCAACATTTATTTTGATTTTTTGGTCAC
CATAAAGATATTGGAACTTTATATTTAATTTTTGGGGTGTGATCCGCAATAGTAGGAACTGCTATAAGTGTATTAATTCGAATTGAATTAGGACAACCAGGAAGATTTTTAGGTGATGATCAATTATATAATGTAGTTGTTACTGCTCATGCATTTGTAATAATTTTTTTTATAGTAATACCTATTTTAATTGGAGGATTTGGAAATTGATTAGTGCCTTTAATATTAGGAGCTCCTGATATAGCTTTTCCTCGGATAAATAATTTAAGATTTTGATTATTACCACCTTCTTTAATATTATTATTTATTTCATCTATAGTAGAAATAGGGGTAGGAGCTGGATGAACTGTTTATCCTCCTTTATCTTCTTTAGATGGTCATGCAGGAAGTTCAGTAGATTTTGCTATTTTTTCTTTACATTTAGCTGGTGCTTCTTCTATTATAGGAGCAATTAATTTTATTTCAACAATTTTAAATATACGTTCTTATGGGAT-AAGATTTGAAAAAATTTCTTTATTTGTTTGGTCTGTATTAATTACAGCAGTATTATTATTATTGTCTCTTCCTGTTTTAGCAGGGGCTATTACTATATTATTAACTGATCGAAATTTTAATACTTCTTTTTTTGATCCTGCAGGGGGTGGTGATCCTATTTTATTTCAACATTTATTTTGATTTTTTGGTCAC
Araneae (Spiders)
- Actinopodidae
- Anamidae
- Araneae fam. indet.
- Araneidae
- Archaeidae
- Argyronetidae
- Arkyidae
- Barychelidae
- Cheiracanthiidae
- Clubionidae
- Corinnidae
- Cycloctenidae
- Deinopidae
- Desidae
- Dictynidae
- Filistatidae
- Gnaphosidae
- Halonoproctidae
- Hersiliidae
- Idiopidae
- Lamponidae
- Linyphiidae
- Lycosidae
- Mimetidae
- Miturgidae
- Mysmenidae
- Nicodamidae
- Oecobiidae
- Oonopidae
- Oxyopidae
- Philodromidae
- Pholcidae
- Pisauridae
- Prodidomidae
- Salticidae
- Scytodidae
- Segestriidae
- Selenopidae
- Sparassidae
- Symphytognathidae
- Tetrablemmidae
- Tetragnathidae
- Theridiidae
- Thomisidae
- Trachelidae
- Trachycosmidae
- Trochanteriidae
- Uloboridae
- Zodariidae
- Zoropsidae
All classes
- Arachnida
- Crustacea
- Entognatha
- Gastropoda
- Insecta
- Orthoptera - Caelifera (Grasshoppers)
- Hymenoptera excl. Formicidae (bees and wasps)
- Blattodea s. str. (Cockroaches)
- Coleoptera (Beetles)
- Dermaptera (earwigs)
- Diptera (flies, mosquitos)
- Entomobryomorpha (slender springtails)
- Hemiptera - Heteroptera (True Bugs)
- Hemiptera - Sternorrhyncha (aphids, scales etc.)
- Hemiptera - Auchenorrhyncha (cicadas, planthoppers)
- Hymenoptera - Formicidae (Ants)
- Trichoptera (Caddisflies)
- Zygentoma (silverfish)
- Myriapoda