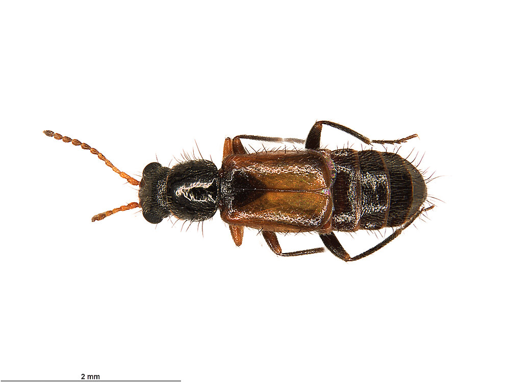
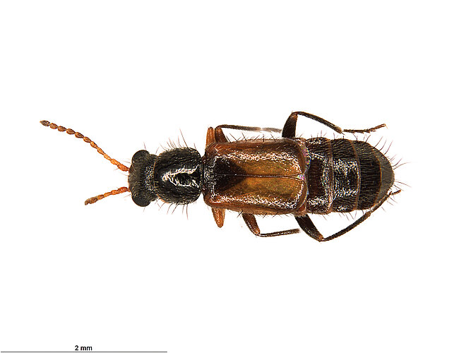
Barrow Island Soft-Winged Flower Beetle
Carphurus
FP-3334
Discoverer: N. Guthrie (2016)
Fauna Portal species: 3334Diagnosis
Head, pronotum and abdomen black; elytra variable, but generally yellow-brown with black triangular patch on the anterior end, often darker colouration along the lateral edge with darker patch in the posterolateral corners. Some specimens with entire elytra dark brown, while others may be yellow with just a small dark spot.
Status
- native
Fauna Portal Reference
Australia
- Western Australia
Fauna Portal Records
The map shows all records that have been verified as part of the Fauna Portal project and may not represent the true distribution of a species. Specifically, for described species, check the link to the Atlas of Living Australia on this page for potential wider distributions. Fauna Portal Reference specimens and Linnean types are shown in red. If you identified a specimen that exceeds the distribution of an undescribed species as illustrated here, please contact the Fauna Portal team who can assist with the lodgement of the specimen in a public institution and display on the map.
Coleoptera (Beetles)
- Anthicidae
- Biphyllidae
- Bostrichidae
- Buprestidae
- Carabidae
- Cerambycidae
- Chrysomelidae
- Cleridae
- Curculionidae
- Dytiscidae
- Elateridae
- Heteroceridae
- Hydrophilidae
- Leiodidae
- Limnichidae
- Melyridae
- Mycetophagidae
- Myraboliidae
- Nitidulidae
- Oedemeridae
- Rhipiphoridae
- Scarabaeidae
- Scraptiidae
- Silvanidae
- Staphylinidae
- Tenebrionidae
- Trogidae
- Zopheridae
All classes
- Arachnida
- Crustacea
- Insecta
- Blattodea s. str. (Cockroaches)
- Coleoptera (Beetles)
- Dermaptera (earwigs)
- Diptera (flies, mosquitos)
- Hemiptera - Auchenorrhyncha (cicadas, planthoppers)
- Hemiptera - Heteroptera (True Bugs)
- Hemiptera - Sternorrhyncha (aphids, scales etc.)
- Hymenoptera - Formicidae (Ants)
- Hymenoptera excl. Formicidae (bees and wasps)
- Mantodea (Praying Mantises)
- Orthoptera - Caelifera (Grasshoppers)
- Trichoptera (Caddisflies)
- Myriapoda
