Soft-Winged Flower Beetle
Melyridae Leach, 1815
Type genus: Melyris Fabricius, 1775
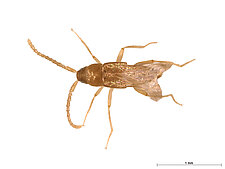
(after Hangay & Zborowski 2010): tarsal formula 5-5-5; subfamilies Malachiinae and Dasytinae have different body forms.
Malachiinae body: 3-10mm in length, elongate, flattened, often widest towards rear; apex of abdomen usually exposed and often brachelytrous; head prognathous, antennae not clubbed; pronotum flat and almost quadrate; sparsley clothed in erect setae, often brightly coloured; tarsi lobed.
Dasytinae body: 1-3.55mm in length, ovoid, elytra covering abdomen; head deflexed, pronotum strongly transverse; antennae swollen at apex; covered in dense recumbent pubescence; dull-coloured; tarsi not lobed with segment 4 reduced.
Publications
Hangay G, Zborowski P (2010): A Guide to the Beetles of Australia. CSIRO Publishing, Collingwood, Australia.
PDF export is only available with an account and the necessary permissions. Please inquire for access.
Register now
Coleoptera (Beetles)
- Anthicidae
- Biphyllidae
- Bostrichidae
- Buprestidae
- Carabidae
- Cerambycidae
- Chrysomelidae
- Cleridae
- Curculionidae
- Dytiscidae
- Elateridae
- Heteroceridae
- Hydrophilidae
- Leiodidae
- Limnichidae
- Melyridae
- Mycetophagidae
- Myraboliidae
- Nitidulidae
- Oedemeridae
- Rhipiphoridae
- Scarabaeidae
- Scraptiidae
- Silvanidae
- Staphylinidae
- Tenebrionidae
- Trogidae
- Zopheridae
All classes
- Arachnida
- Crustacea
- Insecta
- Blattodea s. str. (Cockroaches)
- Coleoptera (Beetles)
- Dermaptera (earwigs)
- Diptera (flies, mosquitos)
- Hemiptera - Auchenorrhyncha (cicadas, planthoppers)
- Hemiptera - Heteroptera (True Bugs)
- Hemiptera - Sternorrhyncha (aphids, scales etc.)
- Hymenoptera - Formicidae (Ants)
- Hymenoptera excl. Formicidae (bees and wasps)
- Mantodea (Praying Mantises)
- Orthoptera - Caelifera (Grasshoppers)
- Trichoptera (Caddisflies)
- Myriapoda