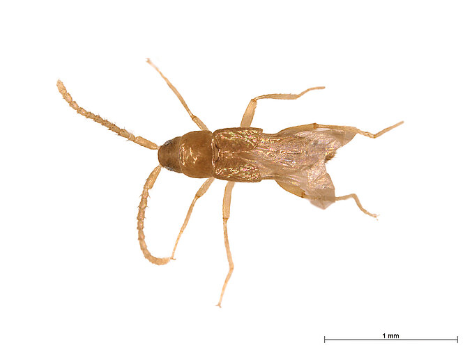
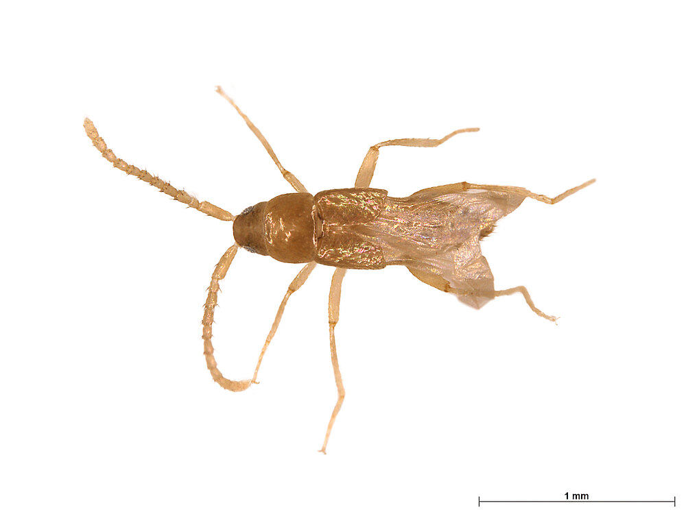
Barrow Island Soft-Winged Flower Beetle
Carphurus
FP-12340
Discoverer: F. Bokhari (2023)
Fauna Portal species: 12340
Order: Coleoptera (Beetles)
Family: Melyridae
Diagnosis
Uniformly yellow-brown; legs and antennae pale.
Status
- native
Fauna Portal Reference
unknown
|
Harry Butler Institute
|
N5402-61
|
26/01/18
|
Australia
|
Western Australia
|
Barrow Island, Butler Park
|
UV light trap
Australia
- Western Australia
Fauna Portal Records
The map shows all records that have been verified as part of the Fauna Portal project and may not represent the true distribution of a species. Specifically, for described species, check the link to the Atlas of Living Australia on this page for potential wider distributions. Fauna Portal Reference specimens and Linnean types are shown in red. If you identified a specimen that exceeds the distribution of an undescribed species as illustrated here, please contact the Fauna Portal team who can assist with the lodgement of the specimen in a public institution and display on the map.
Farhan Bokhari, 27 March 2026
Coleoptera (Beetles)
- Anthicidae
- Biphyllidae
- Bostrichidae
- Buprestidae
- Carabidae
- Cerambycidae
- Chrysomelidae
- Cleridae
- Curculionidae
- Dytiscidae
- Elateridae
- Heteroceridae
- Hydrophilidae
- Leiodidae
- Limnichidae
- Melyridae
- Mycetophagidae
- Myraboliidae
- Nitidulidae
- Oedemeridae
- Rhipiphoridae
- Scarabaeidae
- Scraptiidae
- Silvanidae
- Staphylinidae
- Tenebrionidae
- Trogidae
- Zopheridae
All classes
- Arachnida
- Crustacea
- Insecta
- Blattodea s. str. (Cockroaches)
- Coleoptera (Beetles)
- Dermaptera (earwigs)
- Diptera (flies, mosquitos)
- Hemiptera - Auchenorrhyncha (cicadas, planthoppers)
- Hemiptera - Heteroptera (True Bugs)
- Hemiptera - Sternorrhyncha (aphids, scales etc.)
- Hymenoptera - Formicidae (Ants)
- Hymenoptera excl. Formicidae (bees and wasps)
- Mantodea (Praying Mantises)
- Orthoptera - Caelifera (Grasshoppers)
- Trichoptera (Caddisflies)
- Myriapoda
