Barrow Island Ant-Like Flower Beetle
Anthicidae gen. indet.
FP-12374
Discoverer: F. Bokhari (2023)
Fauna Portal species: 12374Diagnosis
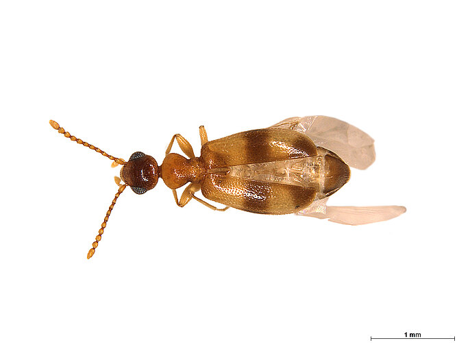
Head dark brown, with eye very large (≥ half head length); pronotum and elytra yellow-brown with two dark brown transverse bands across the middle and posterior end of elytra.
Status
- native
Fauna Portal Reference
Australia
- Western Australia
Fauna Portal Records
The map shows all records that have been verified as part of the Fauna Portal project and may not represent the true distribution of a species. Specifically, for described species, check the link to the Atlas of Living Australia on this page for potential wider distributions. Fauna Portal Reference specimens and Linnean types are shown in red. If you identified a specimen that exceeds the distribution of an undescribed species as illustrated here, please contact the Fauna Portal team who can assist with the lodgement of the specimen in a public institution and display on the map.
Similar Species
Coleoptera (Beetles)
- Anthicidae
- Biphyllidae
- Bostrichidae
- Buprestidae
- Carabidae
- Cerambycidae
- Chrysomelidae
- Cleridae
- Curculionidae
- Dytiscidae
- Elateridae
- Heteroceridae
- Hydrophilidae
- Leiodidae
- Limnichidae
- Melyridae
- Mycetophagidae
- Myraboliidae
- Nitidulidae
- Oedemeridae
- Rhipiphoridae
- Scarabaeidae
- Scraptiidae
- Silvanidae
- Staphylinidae
- Tenebrionidae
- Trogidae
- Zopheridae
All classes
- Arachnida
- Crustacea
- Insecta
- Blattodea s. str. (Cockroaches)
- Coleoptera (Beetles)
- Dermaptera (earwigs)
- Diptera (flies, mosquitos)
- Hemiptera - Auchenorrhyncha (cicadas, planthoppers)
- Hemiptera - Heteroptera (True Bugs)
- Hemiptera - Sternorrhyncha (aphids, scales etc.)
- Hymenoptera - Formicidae (Ants)
- Hymenoptera excl. Formicidae (bees and wasps)
- Mantodea (Praying Mantises)
- Orthoptera - Caelifera (Grasshoppers)
- Trichoptera (Caddisflies)
- Myriapoda
