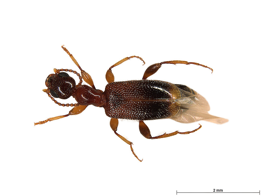
Barrow Island Ant-Like Flower Beetle
Anthelephila
FP-1636 (BWI sp. 8)
Discoverer: A. Szito (2008)
Fauna Portal species: 1636
Order: Coleoptera (Beetles)
Family: Anthicidae
Diagnosis
Head, pronotum, and elytra dark brown; with posterior tip of elytra yellow-brown.
Status
- native
Fauna Portal Reference
unknown
|
Harry Butler Institute
|
N26119-20
|
19/04/21
|
Australia
|
Western Australia
|
Barrow Island, Gas Treatment Plant
|
UV light trap
Australia
- Western Australia
Fauna Portal Records
The map shows all records that have been verified as part of the Fauna Portal project and may not represent the true distribution of a species. Specifically, for described species, check the link to the Atlas of Living Australia on this page for potential wider distributions. Fauna Portal Reference specimens and Linnean types are shown in red. If you identified a specimen that exceeds the distribution of an undescribed species as illustrated here, please contact the Fauna Portal team who can assist with the lodgement of the specimen in a public institution and display on the map.
Similar Species
Farhan Bokhari, 19 March 2026
Coleoptera (Beetles)
- Anthicidae
- Biphyllidae
- Bostrichidae
- Buprestidae
- Carabidae
- Cerambycidae
- Chrysomelidae
- Cleridae
- Curculionidae
- Dytiscidae
- Elateridae
- Heteroceridae
- Hydrophilidae
- Leiodidae
- Limnichidae
- Melyridae
- Mycetophagidae
- Myraboliidae
- Nitidulidae
- Oedemeridae
- Rhipiphoridae
- Scarabaeidae
- Scraptiidae
- Silvanidae
- Staphylinidae
- Tenebrionidae
- Trogidae
- Zopheridae
All classes
- Arachnida
- Crustacea
- Insecta
- Blattodea s. str. (Cockroaches)
- Coleoptera (Beetles)
- Dermaptera (earwigs)
- Diptera (flies, mosquitos)
- Hemiptera - Auchenorrhyncha (cicadas, planthoppers)
- Hemiptera - Heteroptera (True Bugs)
- Hemiptera - Sternorrhyncha (aphids, scales etc.)
- Hymenoptera - Formicidae (Ants)
- Hymenoptera excl. Formicidae (bees and wasps)
- Mantodea (Praying Mantises)
- Orthoptera - Caelifera (Grasshoppers)
- Trichoptera (Caddisflies)
- Myriapoda
