CATAAAGATATTGGAACTCTATATTTCCTATTAGGAGCATGAGCTGGAATAGTAGGCACTTCATTAAGTTGACTAATCCGGATTGAACTTGGACAACCAGGATCATTTATTGGAGATGACCAAACATACAATGTCATTGTAACAGCACATGCCTTCGTAATAATTTTCTTCATAGTTATACCGATTATAATTGGAGGATTTGGAAACTGATTAGTCCCATTAATAATTGGGGCCCCAGATATAGCATTCCCTCGAATAAATAATATAAGATTCTGATTATTACCCCCTTCATTAACCCTTCTCCTTATAAGCAGCATTGCAGAAAGAGGTGCAGGAACAGGATGAACAGTTTACCCACCTCTTTCTGGAAATATCGCCCACAGAGGAGCCTCAGTTGACTTAGCAATCTTTTCGTTACATTTAGCAGGAGTCTCATCAATTCTAGGAGCAGTTAATTTCATTTCAACAATTATCAATATACGACCTGCAGGTATAACACCAGAACGAATTCCATTATTTGTATGATCTGTCGGTATTACAGCTCTTCTTCTACTTTTATCCCTACCTGTTCTAGCAGGAGCAATTACTATATTATTAACTGACCGTAATTTTAATACCTCATTCTTCGACCCAGTTGGAGGGGGGGACCCTATCTTATACCAACACCTATTTTGATTTTTTGGTCAC
CATAAAGATATTGGAACCCTTTATTTTATCCTAGGAGCATGAGCCGGAATAATTGGAACTTCATTAAGCTGATTAATTCGAATTGAATTAGGACAACCTGGATCATTAATTGGAGATGACCAAACATACAATGTTATTGTAACAGCACATGCTTTTATCATAATCTTTTTCATAGTTATGCCCATTATAATTGGTGGATTTGGTAATTGATTAGTCCCATTAATAATCGGAGCACCAGACATGGCATTCCCCCGAATAAATAATATAAGATTTTGACTACTACCCCCATCCTTAATCCTTCTAATTATAAGAAGAATTACAGAAAGAGGATCAGGAACTGGATGAACAGTATATCCACCCCTCTCAGGTAATATCGCCCACAGAGGAGCCTCAGTCGATTTAACTATTTTCTCATTACACTTAGCAGGTATCTCATCAATTCTAGGAGCAATTAATTTTATCTCAACAATCATCAACATACGACCTGTAGGAATAATCCCAGAACGAATCCCCCTATTCGTTTGATCAACAGGAATTACAGCCCTCCTCCTATTATTATCTCTACCTGTTCTAGCAGGAGCAATCACTATACTTTTAACTGACCGTAACTTTAATACATCATTTTTTGATCCTGCTGGAGGGGGAGACCCTATCCTTTACCAACACTTATTTTGATTTTTTGGTCAC
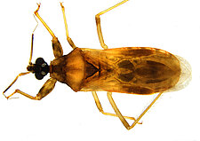
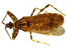
Hemiptera - Heteroptera (True Bugs)
All classes
- Arachnida
- Crustacea
- Insecta
- Orthoptera - Caelifera (Grasshoppers)
- Hymenoptera excl. Formicidae (bees and wasps)
- Blattodea s. str. (Cockroaches)
- Coleoptera (Beetles)
- Dermaptera (earwigs)
- Diptera (flies, mosquitos)
- Hemiptera - Heteroptera (True Bugs)
- Hemiptera - Sternorrhyncha (aphids, scales etc.)
- Hemiptera - Auchenorrhyncha (cicadas, planthoppers)
- Hymenoptera - Formicidae (Ants)
- Trichoptera (Caddisflies)
- Myriapoda