Small Barrow Island Mantis
Bolbe
FP-5330 (BWI sp. B)
Discoverer: G. Milledge (2019)
Fauna Portal species: 5330Diagnosis
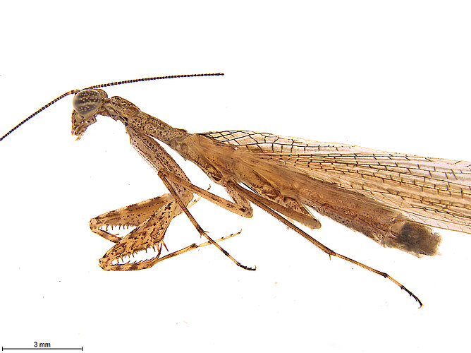
On Barrow Island, from where this species is known, Bolbe FP-5330 differs from the other species in the genus, B. nigra, by the pale inner forelegs and the comparatively shorter pronotum. Males also distinctly differ in genital morphology.
Females found in the Pilbara are darker than males and have orange to brownish toned inner forelegs, not gray to black as in B. nigra.
Foreleg spination cannot be used to differentiate both species as these appear variable in both with no constant differences.
Status
- native
Fauna Portal Reference
Australia
- Western Australia
Fauna Portal Records
The map shows all records that have been verified as part of the Fauna Portal project and may not represent the true distribution of a species. Specifically, for described species, check the link to the Atlas of Living Australia on this page for potential wider distributions. Fauna Portal Reference specimens and Linnean types are shown in red. If you identified a specimen that exceeds the distribution of an undescribed species as illustrated here, please contact the Fauna Portal team who can assist with the lodgement of the specimen in a public institution and display on the map.
CATAAAGATATTGGAACTCTTTATTTTATCTTCGGAGCTTGAGCAGGTATGCTAGGTACTTCTCTCAGAGTATTAATCCGAGTAGAATTAAGACAACCAGGTTCCCTTATTGGAGATGACCAAATTTATAATGTTATTGTTACTGCTCACGCCTTTATTATAATTTTCTTCATAGTAATACCTATTATAATTGGGGGATTTGGAAATTGATTAATCCCTTTAATATTAGGAGCCCCAGATATAGCCTTTCCACGAATAAATAATATAAGATTCTGACTTTTACCTCCATCTCTTATATTTCTTCTAATTGGAAGAATAGTTGAAAGAGGAGCTGGCACAGGCTGAACTGTTTATCCTCCTCTTTCAGCCAGAATTGCTCATGCAGGTCCTGCAGTAGATTTAACTATCTTCTCTCTCCATTTAGCAGGAGCTTCTAGAATTATAGGAGCTGTTAATTTTATTACTACAATAATTAATATAAAACCTATACTTATAAGCTGAACACAAGTACCTTTATTTGTTTGATCTGTAGGTATTACCGCCGTATTATTATTATTATCTCTCCCAGTTTTAGCAGGAGCAATTACTATATTATTAACTGATCGAAACTTAAATACATCTTTCTTTGATCCAGCAGGAGGAGGAGATCCTATTCTATACCAACACTTATTCTGATTTTTTGGTCAC
CAACGATGGCTTTTCTCAACAAATCATAAAGACATTGGAACTCTTTATTTTATCTTCGGAGCTTGAGCAGGTATATTAGGTACTTCTCTCAGAGTATTAATCCGAGTAGAATTAAGACAACCAGGATCC---CTTATCGGAGATGACCAAATTTATAATGTTATTGTTACTGCTCACGCCTTTATTATAATTTTCTTCATAGTAATACCTATTATAATTGGGGGATTTGGAAATTGATTAATCCCTTTAATATTAGGAGCCCCAGATATAGCCTTTCCACGAATAAATAATATAAGATTCTGACTTTTACCTCCATCTCTTATATTTCTTCTAATTGGAAGAATAGTTGAAAGAGGAGCTGGTACAGGCTGAACTGTTTACCCTCCTCTTTCTGCCAGAATTGCTCATGCAGGACCTGCAGTAGATTTAACTATCTTCTCTCTTCATTTAGCAGGAGCTTCTAGAATTATAGGAGCTGTTAATTTTATTACTACAATAATTAATATAAAACCTATGCTTATAAGCTGAACACAAGTACCTTTATTTGTTTGATCTGTAGGTATTACCGCCGTATTATTATTATTATCTCTTCCAGTTTTAGCAGGAGCAATTACTATATTATTAACTGATCGAAACTTAAATACATCTTTCTTTGATCCAGCAGGAGGAGGAGACCCTATTCTATACCAACACTTATTCTGATTTTTTGGTCATCCAGAAGTTTATATTCTAATTCTTCCAGGATTTGGAATAATCTCTCACATTATTTCACACGAATGTAGTAAAAAAGAAGCTTTTGGAAATTATGGAATAATTTGAGCTATATCAGCAATTGGATTTTTAGGATTTGTTGTATGAGCACATCACATATTTACTGTAGGAATAGATGTAGATACACGAGCCTATTTTACAGGGGCTACAATAATTATTGCTGTGCCTACTGGTATTAAAATCTTCAGTTGATTAGCTACTATTTACGGATCAAAAATAATCTTT------AATCCCACTTCATTATGAGCATTAGGTTTCATTTTCTTATTTACCGTTGGAGGATTAACTGGAGTAATTCTAGCTAATTCAGCTATTGATATCATTCTTCATGATACTTATTATGTAGTAGCCCATTTTCACTATGTGTTATCTATAGGAGCAGTATTCGCTATTATAGCAGGAATTATTCACTGATACCCTTTATTTACCGGATTTGTTATAAATCATAATTGATTAAAAAGACAATTCTATATTATATTCATCGGAGTTAATTTAACTTTTTTTCCTCAACACTTCTTAGGATTAGCGGGGATACCCCGACGATATTCAGATTATCCTGATGCTTACACCTCATGAAATATTATTTCATCAATCGGATCAATAATTTCTGCCATTGCAGTTATTATATTCATTTTAATTATCTGAGAAAGAATAATCACCAACCGTAACATTTTATTTGCATCTCAATTAACCAACTCAAGTGAATGGCTTCAT---AATTACCCTCCTGCTGAACATACT------------------------------------------------TATAATGAACTTATACTAATT---ACTAAGTAA---------------------------------------------------------------------------
CAACGATGGCTTTTCTCAACAAATCATAAAGACATTGGAACTCTTTATTTCATCTTTGGAGCTTGAGCAGGCATATTAGGTACCTCTCTTAGAGTTTTAATCCGAGTAGAATTAAGCCAACCAGGCTCT---CTTATTGGAGATGACCAAATCTATAATGTTATTGTTACCGCTCACGCCTTTATTATGATCTTCTTCATAGTGATACCTATTATAATCGGGGGCTTTGGAAATTGATTAATCCCTTTAATACTAGGAGCCCCAGACATAGCCTTCCCACGAATAAATAATATAAGATTTTGACTTTTACCTCCATCCCTTATATTCCTTCTAATTGGAAGAATAGTTGAAAGAGGAGCTGGAACAGGATGAACCGTTTACCCTCCTCTTTCTGCTAGAATTGCTCATGCAGGTCCCGCAGTAGATTTAACAATTTTTTCTCTTCACCTAGCAGGTGCTTCTAGAATTATAGGAGCCGTAAATTTTATTACTACAATAATTAATATAAAGCCTATACTTATAAGCTGAACACAAGTACCCCTATTTGTTTGATCTGTAGGTATTACCGCCGTTTTATTACTACTATCCCTTCCAGTTCTAGCAGGAGCTATTACCATATTATTAACTGATCGAAACTTAAATACATCCTTCTTTGATCCAGCAGGAGGGGGAGACCCTATTTTATACCAACACTTATTCTGATTTTTTGGTCATCCAGAAGTTTACATTCTAATTCTCCCAGGATTTGGAATAATCTCTCACATTATTTCACATGAATGTAGTAAAAAGGAAGCTTTTGGAAATTATGGAATAATTTGAGCCATATCAGCAATTGGATTTTTAGGATTTGTTGTATGAGCTCATCACATATTTACTGTAGGAATGGATGTAGACACACGAGCCTACTTTACTGGAGCTACAATAATCATTGCTGTTCCTACCGGTATTAAAATCTTCAGTTGATTAGCCACTATTTACGGATCAAAAATAATTTTT------AATCCCACTTCATTATGAGCATTAGGTTTCATTTTCTTATTCACCGTTGGAGGGTTAACAGGAGTAATTTTAGCTAATTCAGCTATTGATATTATTCTCCATGACACTTATTATGTAGTAGCTCATTTTCATTATGTATTATCTATAGGAGCAGTATTTGCTATTATAGCAGGAATTATCCACTGATATCCTTTATTTACTGGATTTGTTATAAATCATAATTGACTAAAAAGCCAATTCTATATTATATTTATCGGAGTTAATTTAACCTTTTTCCCTCAGCACTTCTTAGGGCTAGCTGGGATACCTCGACGATACTCAGACTATCCTGATGCTTACACTTCATGAAATATTGTGTCATCAATCGGATCAATAATTTCTGCCATTGCAGTTATTATATTTATTCTAATTATCTGAGAAAGAATAATTACTAATCGTAATATCTTATTTGCATCTCAATTAACCAACTCAAGTGAATGACTTCAT---AATTATCCTCCTGCTGAACACACT------------------------------------------------TATAATGAACTTATATTAATT---ACTAAGTAA---------------------------------------------------------------------------
CAACGATGGCTTTTCTCAACAAATCATAAAGACATTGGAACTCTTTATTTCATCTTTGGAGCTTGAGCAGGCATATTAGGTACCTCTCTTAGAGTTTTAATCCGAGTAGAATTAAGCCAACCAGGCTCT---CTTATTGGAGATGACCAAATCTATAATGTTATTGTTACCGCTCACGCCTTTATTATGATCTTCTTCATAGTGATACCTATTATAATCGGGGGCTTTGGAAATTGATTAATCCCTTTAATACTAGGAGCCCCAGACATAGCCTTCCCACGAATAAATAATATAAGATTTTGACTTTTACCTCCATCCCTTATATTCCTTCTAATTGGAAGAATAGTTGAAAGAGGAGCTGGAACAGGATGAACCGTTTACCCTCCTCTTTCTGCTAGAATTGCTCATGCAGGTCCCGCAGTAGATTTAACAATTTTTTCTCTTCACCTAGCAGGTGCTTCTAGAATTATAGGAGCCGTAAATTTTATTACTACAATAATTAATATAAAGCCTATACTTATAAGCTGAACACAAGTACCCCTATTTGTTTGATCTGTAGGTATTACCGCCGTTTTATTACTACTATCCCTTCCAGTTCTAGCAGGAGCTATTACCATATTATTAACTGATCGAAACTTAAATACATCCTTCTTTGATCCAGCAGGAGGGGGAGACCCTATTTTATACCAACACTTATTCTGATTTTTTGGTCATCCAGAAGTTTACATTCTAATTCTCCCAGGATTTGGAATAATCTCTCACATTATTTCACATGAATGTAGTAAAAAGGAAGCTTTTGGAAATTATGGAATAATTTGAGCCATATCAGCAATTGGATTTTTAGGATTTGTTGTATGAGCTCATCACATATTTACTGTAGGAATGGATGTAGACACACGAGCCTACTTTACTGGAGCTACAATAATCATTGCTGTTCCTACCGGTATTAAAATCTTCAGTTGATTAGCCACTATTTACGGATCAAAAATAATTTTT------AATCCCACTTCATTATGAGCATTAGGTTTCATTTTCTTATTCACCGTTGGAGGGTTAACAGGAGTAATTTTAGCTAATTCAGCTATTGATATTATTCTCCATGACACTTATTATGTAGTAGCTCATTTTCATTATGTATTATCTATAGGAGCAGTATTTGCTATTATAGCAGGAATTATCCACTGATATCCTTTATTTACTGGATTTGTTATAAATCATAATTGACTAAAAAGCCAATTCTATATTATATTTATCGGAGTTAATTTAACCTTTTTCCCTCAGCACTTCTTAGGGCTAGCTGGGATACCTCGACGATACTCAGACTATCCTGATGCTTACACTTCATGAAATATTGTGTCATCAATCGGATCAATAATTTCTGCCATTGCAGTTATTATATTTATTCTAATTATCTGAGAAAGAATAATTACTAATCGTAATATCTTATTTGCATCTCAATTAACCAACTCAAGTGAATGACTTCAT---AATTATCCTCCTGCTGAACACACT------------------------------------------------TATAATGAACTTATATTAATT---ACTAAGTAA---------------------------------------------------------------------------
CATAAAGATATTGGAACTCTTTATTTCATCTTTGGAGCTTGAGCAGGCATATTAGGTACCTCTCTTAGAGTTTTAATCCGAGTAGAATTAAGCCAACCAGGCTCTCTTATTGGAGATGACCAAATCTATAATGTTATTGTTACCGCTCACGCCTTTATTATGATCTTCTTCATAGTGATACCTATTATAATCGGGGGCTTTGGAAATTGATTAATCCCTTTAATACTAGGAGCCCCAGACATAGCCTTCCCACGAATAAATAATATAAGATTTTGACTTTTACCTCCATCCCTTATATTCCTTCTAATTGGAAGAATAGTTGAAAGAGGAGCTGGAACAGGATGAACCGTTTACCCTCCTCTTTCTGCTAGAATTGCTCATGCAGGTCCCGCAGTAGATTTAACAATTTTTTCTCTTCACCTAGCAGGTGCTTCTAGAATTATAGGAGCCGTAAATTTTATTACTACAATAATTAATATAAAGCCTATACTTATAAGCTGAACACAAGTACCCCTATTTGTTTGATCTGTAGGTATTACCGCCGTTTTATTACTACTATCCCTTCCAGTTCTAGCAGGAGCTATTACCATATTATTAACTGATCGAAACTTAAATACATCCTTCTTTGATCCAGCAGGAGGGGGAGACCCTATTTTATACCAACACTTATTCTGATTTTTTGGTCAC
CATAAAGATATTGGAACTCTTTATTTCATCTTTGGAGCTTGAGCAGGCATATTAGGTACCTCTCTTAGAGTTTTAATCCGAGTAGAATTAAGCCAACCAGGCTCTCTTATTGGAGATGACCAAATCTATAATGTTATTGTTACCGCTCACGCCTTTATTATGATCTTCTTCATAGTGATACCTATTATAATCGGGGGCTTTGGAAATTGATTAATCCCTTTAATACTAGGAGCCCCAGACATAGCCTTCCCACGAATAAATAATATAAGATTTTGACTTTTACCTCCATCCCTTATATTCCTTCTAATTGGAAGAATAGTTGAAAGAGGAGCTGGAACAGGATGAACCGTTTACCCTCCTCTTTCTGCTAGAATTGCTCATGCAGGTCCCGCAGTAGATTTAACAATTTTTTCTCTTCACCTAGCAGGTGCTTCTAGAATTATAGGAGCCGTAAATTTTATTACTACAATAATTAATATAAAGCCTATACTTATAAGCTGAACACAAGTACCCCTATTTGTTTGATCTGTAGGTATTACCGCCGTTTTATTACTACTATCCCTTCCAGTTCTAGCAGGAGCTATTACCATATTATTAACTGATCGAAACTTAAATACATCCTTCTTTGATCCAGCAGGAGGGGGAGACCCTATTTTATACCAACACTTATTCTGATTTTTTGGTCAC
CAACGATGGCTTTTCTCAACAAATCATAAAGACATTGGAACTCTTTATTTTATCTTCGGAGCTTGAGCAGGTATATTAGGTACTTCTCTCAGAGTATTAATCCGAGTAGAATTAAGACAGCCAGGTTCC---CTTATTGGAGATGACCAAATTTATAATGTTATTGTTACTGCTCACGCCTTTATTATAATTTTCTTCATAGTAATACCTATTATAATTGGGGGATTTGGAAATTGATTAATCCCTTTAATATTAGGAGCCCCAGATATAGCCTTTCCACGAATAAATAATATAAGATTCTGACTTTTACCTCCATCTCTTATATTTCTTCTAATCGGAAGAATAGTTGAAAGAGGAGCTGGCACAGGCTGAACTGTTTACCCTCCTCTTTCTGCCAGAATTGCTCATGCAGGCCCTGCAGTAGATTTAACTATCTTCTCTCTCCATTTAGCAGGAGCTTCTAGAATTATAGGAGCTGTTAATTTTATTACTACAATAATTAATATAAAACCTATACTTATAAGCTGAACACAAGTACCTTTATTTGTTTGATCTGTAGGTATTACCGCCGTATTATTATTATTATCTCTCCCAGTTTTAGCTGGAGCAATTACTATATTATTGACTGATCGAAACTTAAATACATCTTTCTTTGATCCAGCAGGAGGAGGAGATCCTATTCTATACCAACACTTATTCTGATTTTTTGGTCATCCAGAAGTTTATATTCTAATTCTTCCAGGATTTGGAATAATCTCTCACATTATTTCACACGAATGTAGTAAAAAAGAAGCTTTTGGAAATTATGGAATAATTTGAGCTATATCAGCAATTGGATTTTTAGGATTTGTTGTATGAGCACATCACATATTTACTGTAGGAATAGACGTAGATACACGAGCCTATTTTACAGGGGCTACAATAATTATTGCTGTACCTACTGGTATTAAAATCTTCAGCTGATTAGCTACTATTTACGGATCAAAAATAATCTTT------AATCCCACTTCATTATGAGCATTAGGTTTCATTTTCTTATTTACCGTTGGAGGATTAACTGGAGTAATTCTAGCTAATTCAGCTATTGATATCATTCTTCATGATACTTATTATGTAGTAGCCCATTTTCACTATGTATTATCTATAGGAGCAGTATTCGCTATTATAGCAGGAATTATTCACTGATACCCTTTATTTACCGGATTTGTTATAAATCATAATTGATTAAAAAGACAATTCTATATTATATTCATCGGAGTTAATTTAACTTTCTTTCCTCAACACTTCTTAGGATTAGCGGGGATACCCCGACGATATTCAGATTATCCTGATGCTTACACCTCATGAAATATTATTTCATCAATCGGATCAATAATTTCTGCCATTGCAGTTATTATATTCATTTTAATTATCTGAGAAAGAATAATCACCAACCGTAACATTTTATTTGCATCTCAATTAACCAACTCAAGTGAATGGCTTCAT---AATTATCCTCCTGCTGAACATACT------------------------------------------------TATAATGAACTTATACTAATT---ACTAAGTAA---------------------------------------------------------------------------
Mantodea (Praying Mantises)
All classes
- Arachnida
- Crustacea
- Insecta
- Blattodea s. str. (Cockroaches)
- Coleoptera (Beetles)
- Dermaptera (earwigs)
- Diptera (flies, mosquitos)
- Hemiptera - Auchenorrhyncha (cicadas, planthoppers)
- Hemiptera - Heteroptera (True Bugs)
- Hemiptera - Sternorrhyncha (aphids, scales etc.)
- Hymenoptera - Formicidae (Ants)
- Hymenoptera excl. Formicidae (bees and wasps)
- Mantodea (Praying Mantises)
- Orthoptera - Caelifera (Grasshoppers)
- Trichoptera (Caddisflies)
- Myriapoda
