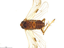
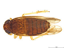
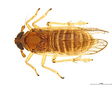
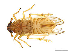
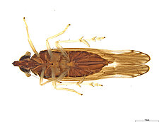
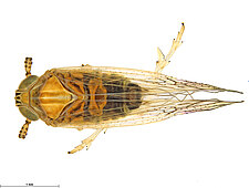
This group includes those delphacid planthoppers that cannot be referred to another genus.
Delphacid Planthoppers
Delphacidae Leach, 1815
Type genus: Delphacinus Fieber, 1866
Delphacidae are easily distinguished from other planthoppers by the presence of a spur on the hindlegs.
AACTATATACTTTGTTTTAGGAATCTGATCAGGATTAATTGGAACAATAAGAAGAGTTCTAATTCGTTCAGAATTAATACAACCAGGTACACTTATTAAAAATGATCAAATTTATAATGTTCTTGTTACATCTCATGCATTTATCATGATTTTTTTCATAGTAATACCAATCTTAATTGGAGGTTTCGGAAATTGACTAGTTCCCCTAATAATTGGTGCCCCAGATATAGCATTCCCCCGAATAAATAATATGAGTTTTTGATTGCTACCCCCATCACTAATTTTATTAATTTCTAGATCTATTGTAGGATCAGGCTCAGGAACAGGATGAACAGTGTACCCACCCCTTTCAAGTATCAATTCACACTCAGGTGCATCAGTAGACTTAACTATTTTTGCTCTACACATCGCCGGTGCCAGATCCATTATAGGAGCAATTAACTTTATTTCAACTATTATAAACATGAAGGCAAAAAATTTTTCTATAGAAAAAATACCCCTATTTTGTTGATCTGTATTAATTACAGCTGTATTGCTACTTTTATCCCTTCCAGTATTAGCAGGAGCAATCACTATACTATTAACTGACCGAAACTTAAATACATCATTTTTTGATCCGACAGGAGGAGGAGACCCCATCCTTTA
AACTATATACTTTGTTTTAGGAATCTGATCAGGATTAATTGGAACAATAAGAAGAGTTCTAATTCGTTCAGAATTAATACAACCAGGTACACTTATTAAAAATGATCAAATTTATAATGTTCTTGTTACATCTCATGCATTTATCATGATTTTTTTCATAGTAATACCAATCTTAATTGGAGGTTTCGGAAATTGACTAGTTCCCCTAATAATTGGTGCCCCAGATATAGCATTCCCCCGAATAAATAATATGAGTTTTTGATTGCTACCCCCATCACTAATTTTATTAATTTCTAGATCTATTGTAGGATCAGGCTCAGGAACAGGATGAACAGTGTACCCACCCCTTTCAAGTATCAATTCACACTCAGGTGCATCAGTAGACTTAACTATTTTTGCTCTACACATCGCCGGTGCCAGATCCATTATAGGAGCAATTAACTTTATTTCAACTATTATAAACATGAAGGCAAAAAATTTTTCTATAGAAAAAATACCCCTATTTTGTTGATCTGTATTAATTACAGCTGTATTGCTACTTTTATCCCTTCCAGTATTAGCAGGAGCAATCACTATACTATTAACTGACCGAAACTTAAATACATCATTTTTTGATCCGACAGGAGGAGGAGACCC
AACTATATACTTTGTTTTAGGAATCTGATCAGGATTAATTGGAACAATAAGAAGAGTTCTAATTCGTTCAGAATTAATACAACCAGGTACACTTATTAAAAATGATCAAATTTATAATGTTCTTGTTACATCTCATGCATTTATCATGATTTTTTTCATAGTAATACCAATCTTAATTGGAGGTTTCGGAAATTGACTAGTTCCCCTAATAATTGGTGCCCCAGATATAGCATTCCCCCGAATAAATAATATGAGTTTTTGATTGCTACCCCCATCACTAATTTTATTAATTTCTAGATCTATTGTAGGATCAGGCTCAGGAACAGGATGAACAGTGTACCCACCCCTTTCAAGTATCAATTCACACTCAGGTGCATCAGTAGACTTAACTATTTTTGCTCTACACATCGCCGGTGCCAGATCCATTATAGGAGCAATTAACTTTATTTCAACTATTATAAACATGAAGGCAAAAAATTTTTCTATAGAAAAAATACCCCTATTTTGTTGATCTGTATTAATTACAGCTGTATTGCTACTTTTATCCCTTCCAGTATTAGCAGGAGCAATCACTATACTATTAACTGACCGAAACTTAAATACATCATTTTTTGATCCGACAGGAGGA
TTAATAATTGGAGCCCCTGATATAGCTTTTCCTCGAATAAACAATATAAGATTTTGATTACTCCCACCCTCATTAATATTGTTGATTTCTAGTTCTCTAGTTGGATCAGGCTCAGGAACAGGTTGAACAGTTTATCCCCCTTTGTCAAGTGTAACCTCACATTCAGGGCCGTCAGTTGATCTAACCATTTTTTCCCTCCACATCGCCGGGGTTAGATCAATTATAGGAGCTATCAATTTCATTTCTACAATTATAAATATACGGTCCAAAAATTTTTCTATAGAAAAAATACCCCTTTTCTGTTGATCAGTTTTAATTACCGCAGTTTTACTTCTTCTTTCTCTCCCGGTATTAGCTGGAGCAATCACTATACTTTTAACTGACCGAAATTTAAATACTTCATTCTTTGACCCAACGGGGGGAGGTGACCCTATCCTATATCAACA
TTTTAGGTATTTGGTCTGGCTTAATTGGAACCATAAGAAGAATCATTATCCGATCAGAATTAACACAACCAGGTACATTAATTAAAAATGACCAAATTTATAACGTACTTGTTACATCTCATGCATTCATTATAATTTTCTTTATAGTTATACCTATTTTAATTGGAGGATTTGGAAATTGACTAGTCCCTCTTATAATTGGAGCCCCTGACATAGCTTTCCCCCGAATAAACAATATAAGATTTTGGCTACTCCCACCATCTTTAATCTTACTAATTTCAAGTTCACTGGTTGGATCAGGTTCTGGAACAGGATGAACAGTGTACCCCCCGCTGTCAAGAATCTCCTCTCATTCTGGACCATCCGTTGACCTAACAATTTTTTCCCTACATATTGCTGGAGTAAGATCTATTATAGGAGCAATCAATTTCATCTCCACCATCTTAAATATACGAGCCAAAAATTTTTTAGCAGAAAAAATACCCCTTTTCTGTTGATCAGTGCTTATTACAGCTGTCTTACTTCTGTTGTCTCTACCCGTTTTAGCAGGTGCAATCACTATGCTCTTAACAGACCGCAATCTTAATACATCTTTTTTTGACCCCACAGGTGGAGGAGACCCTATCCT
TTTTAGGTATTTGGTCTGGCTTAATTGGAACCATAAGAAGAATCATTATCCGATCAGAATTAACACAACCAGGTACATTAATTAAAAATGACCAAATTTATAATGTACTTGTTACATCTCACGCATTCATTATAATTTTCTTTATAGTTATACCTATTTTAATTGGAGGATTTGGAAATTGACTAGTCCCTCTTATAATTGGAGCCCCTGACATAGCTTTCCCCCGAATAAACAATATAAGATTTTGGCTACTCCCACCATCTTTAATCTTACTAATTTCAAGTTCACTGGTTGGATCAGGTTCTGGAACAGGATGAACAGTGTACCCCCCGCTGTCAAGAATCTCCTCTCATTCTGGACCATCCGTTGACCTAACAATTTTTTCCCTACATATTGCTGGAGTAAGATCTATTATAGGAGCAATCAATTTCATCTCCACCATCTTAAATATACGAGCCAAAAATTTTTTAGCAGAAAAAATACCTCTTTTCTGTTGATCAGTGCTTATTACAGCTGTCTTACTTCTGTTGTCTCTACCCGTTTTAGCAGGTGCAATCACTATGCTCTTAACAGACCGCAATCTTAATACATCTTTT
TACTCTCTATTTCATTTTAGGTATTTGGTCTGGCTTAATTGGAACCATAAGAAGAATCATTATCCGATCAGAATTAACACAACCAGGTACATTAATTAAAAATGACCAAATTTATAACGTACTTGTTACATCTCACGCATTCATTATAATTTTCTTTATAGTTATACCTATTTTAATTGGAGGATTTGGAAATTGACTAGTCCCTCTTATAATTGGAGCCCCTGACATAGCTTTCCCCCGAATAAACAATATAAGATTTTGGCTACTCCCACCATCTTTAATCTTACTAATTTCAAGTTCACTGGTTGGATCAGGTTCTGGAACAGGATGAACAGTGTACCCCCCGCTGTCAAGAATCTCCTCTCATTCTGGACCATCCGTTGACCTAACAATTTTTTCCCTACATATTGCTGGAGTAAGATCTATTATAGGAGCAATCAATTTCATCTCCACCATCTTAAATATACGAGCCAAAAATTTTTTAGCAGAAAAAATACCTCTTTTCTGTTGATCAGTGCTTATTACAGCTGTCTTACTTCTGTTGTCCCTACCCGTTTTAGCAGGTGCAATCACTATGCTCTTAACAGACCGCAATCTTAATACATCTTTTTTTGACCCCACAGGTGGAGGAGACC
TTTTAGGTATTTGGTCTGGCTTAATTGGAACCATAAGAAGAATCATTATCCGATCAGAATTAACACAACCAGGTACATTAATTAAAAATGACCAAATTTATAACGTACTTGTTACATCTCATGCATTCATTATAATTTTCTTTATAGTTATACCTATTTTAATTGGAGGATTTGGAAATTGACTAGTCCCTCTTATAATTGGAGCCCCTGACATAGCTTTCCCCCGAATAAACAATATAAGATTTTGGCTACTCCCACCATCTTTAATCTTACTAATTTCAAGTTCACTGGTTGGATCAGGTTCTGGAACAGGATGAACAGTGTACCCCCCGCTGTCAAGAATCTCCTCTCATTCTGGACCATCCGTTGACCTAACAATTTTTTCCCTACATATTGCTGGAGTAAGATCTATTATAGGAGCAATCAATTTCATCTCCACCATCTTAAATATACGAGCCAAAAATTTTTTAGCAGAAAAAATACCCCTTTTCTGTTGATCAGTGCTTATTACAGCTGTCTTACTTCTGTTGTCTCTACCCGTTTTAGCAGGTGCAATCACTATGCTCTTAACAGACCGCAATCTTAATACATCTTTTTTTGACCCCACAGGTGGAGGAGACCCTATCC
TTTTAGGTATTTGGTCTGGCTTAATTGGAACCATAAGAAGAATCATTATCCGATCAGAATTAACACAACCAGGTACATTAATTAAAAATGACCAAATTTATAACGTACTTGTTACATCTCACGCATTCATTATAATTTTCTTTATAGTTATACCTATTTTAATTGGAGGATTTGGAAATTGACTAGTCCCTCTTATAATTGGAGCCCCTGACATAGCTTTCCCCCGAATAAACAATATAAGATTTTGGCTACTCCCACCATCTTTAATCTTACTAATTTCAAGTTCACTGGTTGGATCAGGTTCTGGAACAGGATGAACAGTGTACCCCCCGCTGTCAAGAATCTCCTCTCATTCTGGACCATCCGTTGACCTAACAATTTTTTCCCTACATATTGCTGGAGTAAGATCTATTATAGGAGCAATCAATTTCATCTCCACCATCTTAAATATACGAGCCAAAAATTTTTTAGCAGAAAAAATACCTCTTTTCTGTTGATCAGTGCTTATTACAGCTGTCTTACTTCTGTTGTCTCTACCCGTTTTAGCAGGTGCAATCACTATGCTCTTAACAGACCGCAATCTTAATACATCTTTTTTTGACCCCACAGGTGGAGGAGACCCT
TTTTAGGTATTTGGTCTGGCTTAATTGGAACCATAAGAAGAATCATTATCCGATCAGAATTAACACAACCAGGTACATTAATTAAAAATGACCAAATTTATAACGTACTTGTTACATCTCATGCATTCATTATAATTTTCTTTATAGTTATACCTATTTTAATTGGAGGATTTGGAAATTGACTAGTCCCTCTTATAATTGGAGCCCCTGACATAGCTTTCCCCCGAATAAACAATATAAGATTTTGGCTACTCCCACCATCTTTAATCTTACTAATTTCAAGTTCACTGGTTGGATCAGGTTCTGGAACAGGATGAACAGTGTACCCCCCGCTGTCAAGAATCTCCTCTCATTCTGGACCATCCGTTGACCTAACAATTTTTTCCCTACATATTGCTGGAGTAAGATCTATTATAGGAGCAATCAATTTCATCTCCACCATCTTAAATATACGAGCCAAAAATTTTTTAGCAGAAAAAATACCCCTTTTCTGTTGATCAGTGCTTATTACAGCTGTCTTACTTCTGTTGTCTCTACCCGTTTTAGCAGGTGCAATCACTATGCTCTTAACAGACCGCAATCTTAATACATCTTTTTTTGACCCCACAGGTGGAGGAGACCCTATCCTTTACCAA
TATTTCATTTTAGGTATTTGGTCTGGCTTAATTGGAACCATAAGAAGAATCATTATCCGATCAGAATTAACACAACCAGGTACATTAATTAAAAATGACCAAATTTATAACGTACTTGTTACATCTCATGCATTCATTATAATTTTCTTTATAGTTATACCTATTTTAATTGGAGGATTTGGAAATTGACTAGTCCCTCTTATAATTGGAGCCCCTGACATAGCTTTCCCCCGAATAAACAATATAAGATTTTGGCTACTCCCACCAT
CAGGTACATTAATTAAAAATGACCAAATTTATAACGTACTTGTTACATCTCATGCATTCATTATAATTTTCTTTATAGTTATACCTATTTTAATTGGAGGATTTGGAAATTGACTAGTCCCTCTTATAATTGGAGCCCCTGACATAGCTTTCCCCCGAATAAACAATATAAGATTTTGGCTACTCCCACCATCTTTAATCTTACTAATTTCAAGTTCACTGGTTGGATCAGGTTCTGGAACAGGATGAACAGTGTACCCCCCGCTGTCAAGAATCTCCTCTCATTCTGGACCATCCGTTGACCTAACAATTTTTTCCCTACATATTGCTGGAGTAAGATCTATTATAGGAGCAATCAATTTCATCTCCACCATCTTAAATATACGAGCCAAAAATTTTTTAGCAGAAAAAATACCCCTTTTCTGTTGATCAGTGCTTATTACAGCTGTCTTAYTTCTGTTGTCTCTACCCGTTTTAGCAGGTGCAATCACT
GAAGAATCATTATCCGATCAGAATTAACACAACCAGGTACATTAATTAAAAATGACCAAATTTATAACGTACTTGTTACATCTCATGCATTCATTATAATTTTCTTTATAGTTATACCTATTTTAATTGGAGGATTTGGAAATTGACTAGTCCCTCTTATAATTGGAGCCCCTGACATAGCTTTCCCCCGAATAAACAATATAAGATTTTGGCTACTCCCACCATCTTTAATCTTACTAATTTCAAGTTCACTGGTTGGATCAGGTTCTGGAACAGGATGAACAGTGTACCCCCCGCTGTCAAGAATCTCCTCTCATTCTGGACCATCCGTTGACCTAACAATTTTTTCCCTACATATTGCTGGAGTAAGATCTATTATAGGAGCAATCAATTTCATCTCCACCATCTTAAATATACGAGCCAAAAATTTTTTAGCAGAAAAAATACCCCTTTTCTGTTGATCAGTGCTTATTACAGCTGTCTTACTTCTGTTGTCTCTACCCGTTTTAGCAGGTGCAATCACTATGCTCTTAACAGACCGCAATCTTAATACATCTTTTTTTGAC
TTGGTCTGGCTTAATTGGAACCATAAGAAGAATCATTATCCGATCAGAATTAACACAACCAGGTACATTAATTAAAAATGACCAAATTTATAACGTACTTGTTACATCTCATGCATTCATTATAATTTTCTTTATAGTTATACCTATTTTAATTGGAGGATTTGGAAATTGACTAGTCCCTCTTATAATTGGAGCCCCTGACATAGCTTTCCCCCGAATAAACAATATAAGATTTTGGCTACTCCCACCATCTTTAATCTTACTAATTTCAAGTTCACTGGTTGGATCAGGTTCTGGAACAGGATGAACAGTGTACCCCCCGCTGTCAAGAATCTCCTCTCATTCTGGACCATCCGTTGACCTAACAATTTTTTCCCTACATATTGCTGGAGTAAGATCTATTATAGGAGCAATCAATTTCATCTCCACCATCTTAAATATACGAGCCAAAAATTTTTTAGCAGAAAAAATACCCCTTTTCTGTTGATCAGTGCTTATTACAGCTGTCTTACTTCTGTTGTCTCTACCCGTTTTAGCAGGTGCAATCACTATGCTCTTAACAGACCGCAATCTTAATACATCTT
GCTTAATTGGAACCATAAGAAGAATCATTATCCGATCAGAATTAACACAACCAGGTACATTAATTAAAAATGACCAAATTTATAACGTACTTGTTACMTCTCACGCATTCATTATAATTTTCTTTATAGTTATACCTATTTTAATTGGAGGATTTGGAAATTGACTAGTCCCTCTTATAATTGGAGCCCCTGACATAGCTTTCCCCCGAATAAACAATATAAGATTTTGGCTACTCCCACCATCTTTAATCTTACTAATTTCAAGTTCACTGGTTGGATCAGGTTCTGGAACAGGATGAACAGTGTACCCCCCGCTGTCAAGAATCTCCTCTCATTCTGGACCATCCGTTGACCTAACAATTTTTTCCCTACATATTGCTGGAGTAAGATCTATTATAGGAGCAATCAATTTCATCTCCACCATCTTAAATATACGAGCCAAAAATTTTTTAGCAGAAAAAATACCTCTTTTCTGTTGATCAGTGCTTATTACAGCTGTCTTACTTCTGTTGTCTCTACCCGTTTTAGCRGGTGCAATCACTATGCTCTTAACAGACCGCAATCTTAATACATCT
GTATTTGGTCTGGCTTAATTGGAACCATAAGAAGAATCATTATCCGATCAGAATTAACACAACCAGGTACATTAATTAAAAATGACCAAATTTATAACGTACTTGTTACATCTCACGCATTCATTATAATTTTCTTTATAGTTATACCTATTTTAATTGGAGGATTTGGAAATTGACTAGTCCCTCTTATAATTGGAGCCCCTGACATAGCTTTCCCCCGAATAAACAATATAAGATTTTGGCTACTCCCACCATCTTTAATCTTACTAATTTCAAGTTCACTGGTTGGATCAGGTTCTGGAACAGGATGAACAGTGTACCCCCCGCTGTCAAGAATCTCCTCTCATTCTGGACCATCCGTTGACCTAACAATTTTTTCCCTACATATTGCTGGAGTAAGATCTATTATAGGAGCAATCAATTTCATCTCCACCATCTTAAATATACGAGCCAAAAATTTTTTAGCAGAAAAAATACCTCTTTTCTGTTGATCAGTGCTTATTACAGCTGTCTTACTTCTGTTGTCTCTACCCGTTTTAGCAGGTGCAATCACTATGCTCTTAACAGACCGCAATCTTAATACATCTTTTTTTGACCCCA
TACTCTCTATTTCATTTTAGGTATTTGGTCTGGCTTAATTGGAACCATAAGAAGAATCATTATCCGATCAGAATTAACACAACCAGGTACATTAATTAAAAATGACCAAATTTATAACGTACTTGTTACATCTCATGCATTCATTATAATTTTCTTTATAGTTATACCTATTTTAATTGGAGGATTTGGAAATTGACTAGTCCCTYTTATAATTGGAGCCCCTGACATAGCTTTCCCCCGAATAAACAATATAAGATTTTGGCTACTCCCACCATCTTTAATCTTACTAATTTCAAGTTCACTGGTTGGATCAGGTTCTGGAACAGGATGAACAGTGTACCCCCCGCTGTCAAGAATCTCCTCTCATTCTGGACCATCCGTTGACCTAACAATTTTTTCCCTACATATTGCTGGAGTAAGATCTATTATAGGAGCAATCAATTTCATCTCCACCATCTTAAATATACGAGCCAAAAATTTTTTAGCAGAAAAAATACCCCTTTTCTGTTGATCAGTGCTTATTACAGCTGTCTTACTTCTGTTGTCTCTACCCGTTTTAGCAGGTGCAATCACTATGCTCTTAACAGACCGCAATCTTAATACATCTTTTTTTGACCCCACACGTGGAGGAGACCCTATC
GTATTTGGTCTGGCTTAATTGGAACCATAAGAAGAATCATTATCCGATCAGAATTAACACAACCAGGTACATTAATTAAAAATGACCAAATTTATAACGTACTTGTTACATCTCATGCATTCATTATAATTTTCTTTATAGTTATACCTATTTTAATTGGAGGATTTGGAAATTGACTAGTCCCTCTTATAATTGGAGCCCCTGACATAGCTTTCCCCCGAATAAACAATATAAGATTTTGGCTACTCCCACCATCTTTAATCTTACTAATTTCAAGTTCACTGGTTGGATCAGGTTYTGGAACAGGATGAACAGTGTACCCCCCGCTGTCAAGAATCTCCTCTCATTCTGGACCATCCGTTGACCTAACAATTTTTTCCCTACATATTGCTGGAGTAAGATCTATTATAGGAGCAATCAATTTCATCTCCACCATCTTAAATATACGAGCCAAAAATTTTTTAGCAGAAAAAATACCTCTTTTCTGTTGATCAGTGCTTATTACAGCTGTCTTACTTCTGTTGTCTCTACCCGTTTTAGCAGGTGCAATCACTATGCTCTTAACAGACCGCAATCTTAATACATCTTTTTTTGACCCCACAGGTGGAGGAGACCCTATCCTTTACCA
ATTTGGTCTGGCTTAATTGGAACCATAAGAAGAATCATTATCCGATCAGAATTAACACAACCAGGTACATTAATTAAAAATGACCAAATTTATAACGTACTTGTTACATCTCATGCATTCATTATAATTTTCTTTATAGTTATACCTATTTTAATTGGAGGATTTGGAAATTGACTAGTCCCTCTTATAATTGGAGCCCCTGACATAGCTTTCCCCCGAATAAACAATATAAGATTTTGGCTACTCCCACCATCTTTAATCTTACTAATTTCAAGTTCACTGGTTGGATCAGGTTCTGGAACAGGATGAACAGTGTACCCCCCGCTGTCAAGAATCTCCTCTCATTCTGGACCATCCGTTGACCTAACAATTTTTTCCCTACATATTGCTGGAGTAAGATCTATTATAGGAGCAATCAATTTCATCTCCACCATCTTAAATATACGAGCCAAAAATTTTTTAGCAGAAAAAATACCCCTTTTCTGTTGATCAGTGCTTATTACAGCTGTCTTACTTCTGTTGTCTCTACCCGTTTTAGCAGGTGCAATCACTATGCTCTTAACAGACCGCAATCTTAATACATCTTTTTTTGACCCCACAGGTGGAGGAGACCCTATCCTTTACCAA
TAAGAAGAATCATTATCCGATCAGAATTAACACAACCAGGTACATTAATTAAAAATGACCAAATTTATAACGTACTTGTTACATCTCATGCATTCATTATAATTTTCTTTATAGTTATACCTATTTTAATTGGAGGATTTGGAAATTGACTAGTCCCTCTTATAATTGGAGCCCCTGACATAGCTTTCCCCCGAATAAACAATATAAGATTTTGGCTACTCCCACCATCTTTAATCTTACTAATTTCAAGTTCACYGGTTGGATCAGGTTYTGGAACAGGATGAACAGTGTACCCCCCGCTGTCAAGAATCTCCTCTCATTCTGGACCATCCGTTGACCTAACAATTTTTTCCCTACATATTGCTGGAGTAAGATCTATTATAGGAGCAATCAATTTCATCTCCACCATCTTAAATATACGAGCCAAAAATTTTTTAGCAGAAAAAATACCCCTTTTCTGTTGATCAGTGCTTATTACAGCTGTCTTACTTCTGTTGTCTCTACCCGTTTTAGCAGG
ATCAGAATTAACACAACCAGGTACATTAATTAAAAATGACCAAATTTATAACGTACTTGTTACATCTCACGCATTCATTATAATTTTCTTTATAGTTATACCTATTTTAATTGGAGGATTTGGAAATTGACTAGTCCCTCTTATAATTGGAGCCCCTGACATAGCTTTCCCCCGAATAAACAATATAAGATTTTGGCTACTCCCACCATCTTTAATCTTACTAATTTCAAGTTCACTGGTTGGATCAGGTTCTGGAACAGGATGAACAGTGTACCCCCCGCTGTCAAGAATCTCCTCTCATTCTGGACCATCCGTTGACCTAACAATTTTTTCCCTACATATTGCTGGAGTAAGATCTATTATAGGAGCAATCAATTTCATCTCCACCATCTTAAATATACGAGCCAAAAATTTTTTAGCAGAAAAAATACCTCTTTTCTGTTGATCAGTGCTTATTACAGCTGTCTTACTTCTGTTGTCTCTACCCGTTTTAGCAGGTGCAATCACTATGCTC
CAATAAGAAGAATTTTAATTCGATCAGAATTAACTCAGCCCGGATCATTAATTAAAAATGACCAAATCTATAATGTTTTAGTGACATCACATGCATTTATTATAATTTTTTTTATGGTTATACCTATCTTAATTGGAGGATTTGGAAATTGACTTGTCCCACTAATAATTGGAGCACCTGACATAGCTTTTCCTCGAATAAATAATATAAGATTTTGGCTTCTCCCACCATCTTTAATCTTATTAATTTCAAGTTCATTAGTAGGATCAGGGTCAGGAACAGGTTGAACTGTATATCCACCCCTTTCAAGTGTAACTTCCCATTCTGGGCCTTCAGTAGATTTAACAATTTTCTCTCTTCATATTGCAGGAATTAGATCAATTATAGGAGCTATCAACTTTATTTCAACCATTATAAACATACGATCTAAAAATTTTTCAATAGAAAAAATACCCCTATTYTGTTGATCAGTTTTAATTACTGCAGTTCTATTGTTGTTATC
TGATCTGGGTTAATTGGAACAATAAGAAGAATTTTAATTCGATCAGAATTAACTCAGCCCGGATCATTAATTAAAAATGACCAAATCTATAATGTTTTAGTGACATCACATGCATTTATTATAATTTTTTTTATGGTTATACCTATCTTAATTGGAGGATTTGGAAATTGACTTGTCCCACTAATAATTGGAGCACCTGACATAGCTTTTCCTCGAATAAATAATATAAGATTTTGGCTTCTCCCACCATCTTTAATCTTATTAATTTCAAGTTCATTAGTAGGATCAGGGTCAGGAACAGGTTGAACTGTATATCCACCCCTTTCAAGTGTAACTTCCCATTCTGGGCCTTCAGTAGATTTAACAATTTTCTCTCTTCATATTGCAGGAATTAGATCAATTATAGGAGCTATCAACTTTATTTCAACCATTATAAACATACGATCTAAAAATTTTTCAATAGAAAAAATACCCCTATTCTGTTGATCAGTTTTAATTACTGCAGTTCTATTGTTGTTATCACTCCCAGTACTAGCAGGAGCTATTACAATACTCTTAACCGATCGAAATCTTAATACATCATTTTTTGATCCAACAGGAGGTGGAGATCCAATTTTATACCAACATCTAT
TTGGAAATTGACTTGTCCCACTAATAATTGGAGCACCTGACATAGCTTTTCCTCGAATAAATAATATAAGATTTTGGCTTCTCCCACCATCTTTAATCTTATTAATTTCAAGTTCATTAGTAGGATCAGGKTCAGKAACAGGTTGAACTGTATATCCACCCCTTTCAAGTGTAACTTCCCATTCTGGGCCTTCAGTAGATTTAACAATTTTCTCTCTTCATATTGCAGGAATTAGATCAATTATAGGAGCTATCAACTTTATTTCAACCATTATAAACATACGATCTAAAAATTTTTCAATAGAAAAAATACCCCTATTCTGTTGATCAGTTTWAATTACTGCAGTTCTATTGTTGTTATCACTCCCAGTACTAGCAGGAGCTATTACAATACTCTTAACCGATCGAAATCTTAATACATCATTTTTTGATCCAACAGGAGGTGGAGATCCAATTTTATATCAACATCTATTCTGATTTTT
GGGTTAATTGGAACAATAAGAAGAATTTTAATTCGATCAGAATTAACTCAGCCCGGATCATTAATTAAAAATGACCAAATCTATAATGTTTTAGTGACATCACATGCATTTATTATAATTTTTTTTATGGTTATACCTATCTTAATTGGAGGATTTGGAAATTGACTTGTCCCACTAATAATTGGAGCACCTGACATAGCTTTTCCTCGAATAAATAATATAAGATTTTGGCTTCTCCCACCATCTTTAATCTTATTAATTTCAAGTTCATTAGTAGGATCAGGGTCAGGAACAGGTTGAACTGTATATCCACCCCTTTCAAGTGTAACTTCCCATTCTGGGCCTTCAGTAGATTTAACAATTTTCTCTCTTCATATTGCAGGAATTAGATCAATTATAGGAGCTATCAACTTTATTTCAACCATTATAAACATACGATCTAAAAATTTTTCAATAGAAAAAATACCCCTATTCTGTTGATCAGTTTTAATTACTGCAGTTCTATTGTTGTTATCACTCCCAGTACTAGCAGGAGCTATTACAATACTCTTAAC
ACAATAAGAAGAATTTTAATTCGATCAGAATTAACTCAGCCCGGATCATTAATTAAAAATGACCAAATCTATAATGTTTTAGTGACATCACATGCATTTATTATAATTTTTTTTATGGTTATACCTATCTTAATTGGAGGATTTGGAAATTGACTTGTCCCACTAATAATTGGAGCACCTGACATAGCTTTTCCTCGAATAAATAATATAAGATTTTGGCTTCTCCCACCATCTTTAATCTTATTAATTTCAAGTTCATTAGTAGGATCAGGGTCAGGAACAGGTTGAACTGTATATCCACCCCTTTCAAGTGTAACTTCCCATTCTGGGCCTTCAGTAGATTTAACAATTTTCTCTCTTCATATTGCAGGAATTAGATCAATTATAGGAGCTATCAACTTTATTTCAACCATTATAAACATACGATCTAAAAATTTTTCAATAGAAAAAATACCCCTATTCTGTTGATCAGTTTTAATTACTGCAGTTCTATTGTTGTTATCACTCCCAGTACTAGCAGGAGCTATTACAATACTCTTAACCGATCGAAATCTTAATACATC
GAATTTGATCTGGGTTAATTGGAACAATAAGAAGAATTTTAATTCGATCAGAATTAACTCAGCCCGGATCATTAATTAAAAATGACCAAATCTATAATGTTTTAGTGACATCACATGCATTTATTATAATTTTTTTTATGGTTATACCCATCTTAATTGGAGGATTTGGAAATTGACTTGTCCCACTAATAATTGGAGCACCTGACATAGCTTTTCCTCGAATAAATAATATAAGATTTTGGCTTCTCCCACCATCTTTAATCTTATTAATTTCAAGTTCATTAGTAGGATCAGGGTCAGGAACAGGTTGAACTGTATATCCACCCCTTTCAAGTGTAACTTCCCATTCTGGGCCTTCAGTAGATTTAACAATTTTCTCTCTTCATATTGCAGGAATTAGATCAATTATAGGAGCTATCAACTTTATTTCAACCATTATAAACATACGATCTAAAAATTTTTCAATAGAAAAAATACCCCTATTCTGTTGATCAGTTTTAATTACTGCAGTTCTATTGTTGTTATCACTCCCAGTACTAGCRGGAGCTATTACAATAYTCTTAACCGATCGAAATCTTAATACATCATTTTTTGATCCAACAGGAGGTGGAGATCCAATTTTATACC
GAATTAACTCAGCCCGGATCATTAATTAAAAATGACCAAATCTATAATGTTTTAGTGACATCACATGCATTTATTATAATTTTTTTTATGGTTATACCTATCTTAATTGGAGGATTTGGAAATTGACTTGTCCCACTAATAATTGGAGCACCTGACATAGCTTTTCCTCGAATAAATAATATAAGATTTTGGCTTCTCCCACCATCTTTAATCTTATTAATTTCAAGTTCATTAGTAGGATCAGGGTCAGGAACAGGTTGAACTGTATATCCACCCCTTTCAAGTGTAACTTCCCATTCTGGGCCTTCAGTAGATTTAACAATTTTCTCTCTTCATATTGCAGGAATTAGATCAATTATAGGAGCTATCAACTTTATTTCAACCATTATAAACATACGATCTAAAAATTTTTCAATAGAAAAAATACCCCTATTCTGTTGATCAGTTTTAATTACTGCAGTTCTATTGTTGTTATCACTCCCAGTACTAGCAGGAGCTATTACAATACTCTTAACCGATCGAAATCTTAATACATCATTTTTTGA
GACACTATACTTCATTTTAGGAATTTGATCTGGGTTAATTGGAACAATAAGAAGAATTTTAATTCGATCAGAATTAACTCAGCCCGGATCATTAATTAAAAATGACCAAATCTATAATGTTTTAGTGACATCACATGCATTTATTATAATTTTTTTTATGGTTATACCTATCTTAATTGGAGGATTTGGAAATTGACTTGTCCCACTAATAATTGGAGCACCTGACATAGCTTTTCCTCGAATAAATAATATAAGATTTTGGCTTCTCCCACCATCTTTAATCTTATTAATTTCAAGTTCATTAGTAGGATCAGGGTCA
TTAGGAATTTGATCTGGGTTAATTGGAACAATAAGAAGAATTTTAATTCGATCAGAATTAACTCAGCCCGGATCATTAATTAAAAATGACCAAATCTATAATGTTTTAGTGACATCACATGCATTTATTATAATTTTTTTTATGGTTATACCTATCTTAATTGGAGGATTTGGAAATTGACTTGTCCCACTAATAATTGGAGCACCTGACATAGCTTTTCCTCGAATAAATAATATAAGATTTTGGCTTCTCCCACCATCTTTAATCTTATTAATTTCAAGTTCATTAGTAGGATCAGGGTCAGGAACAGGTTGAACTGTATATCCACCCCTTTCAAGTGTAACTTCCCATTCTGGGCCTTCAGTAGATTTAACAATTTTCTCTCTTCATATTGCAGGAATTAGATCAATTATAGGAGCTATCAACTTTATTTCAACCATTATAAACATACGATCTAAAAATTTTTCAATAGAAAAAATACCCCTATTCTGTTGATCAGTTTTAATTACTGCAGTTCTATTGTTGTTATCACTCCCAGTACTAGCAGGAGCTATTACAATACTCTTAACCGATCGAAATCTTAATACATCATTTTTTG
Hemiptera - Auchenorrhyncha (cicadas, planthoppers)
All classes
- Arachnida
- Crustacea
- Insecta
- Orthoptera - Caelifera (Grasshoppers)
- Hymenoptera excl. Formicidae (bees and wasps)
- Blattodea s. str. (Cockroaches)
- Coleoptera (Beetles)
- Dermaptera (earwigs)
- Diptera (flies, mosquitos)
- Hemiptera - Heteroptera (True Bugs)
- Hemiptera - Sternorrhyncha (aphids, scales etc.)
- Hemiptera - Auchenorrhyncha (cicadas, planthoppers)
- Hymenoptera - Formicidae (Ants)
- Trichoptera (Caddisflies)
- Myriapoda